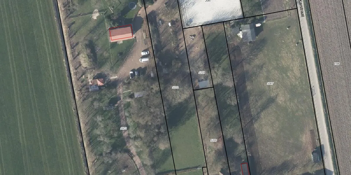
Perceel: HTR00-O-1222
KadastraleKaart.com kan meer dan je denktOntdek meer ›
Filter op bestemming 50+ datasets Eigendomsdata in één klik Percelen CRM
3.500 m2 - 448 m
Eigenaar opvragen
HTR00-O-1222 (Heteren)
- 6665 LS -6665 LD
6LjmoF6MwjIYMyy58Upgrade naar KadastraleKaart Pro
Verkoopprijs opvragen
Bekijk op Street View
Download DWG/DXF/Excel
FRCEQ 5zLPslifDdUpgrade naar KadastraleKaart Pro
QPW0sXadPeNSTM 0VMmUpgrade naar KadastraleKaart Pro
i4hYtPskLQ0R KBRqHHmBQUpgrade naar KadastraleKaart Pro
5CNMJtZ6CZUbGnyUpgrade naar KadastraleKaart Pro
tj PrzOMQHWUpgrade naar KadastraleKaart Pro
Sh5zSy5XaSEmXwdUpgrade naar KadastraleKaart Pro
HdRxWxEkbpcptmPEKJUpgrade naar KadastraleKaart Pro
wUVCooh3kbvaxa us k61vZUpgrade naar KadastraleKaart Pro
ASAuX2G0EBUpgrade naar KadastraleKaart Pro
fXj tf PeUpgrade naar KadastraleKaart Pro
17/08/2009

Percelen
Gebruik de zoekbalk of klik op een perceel om informatie over het perceel te bekijken.