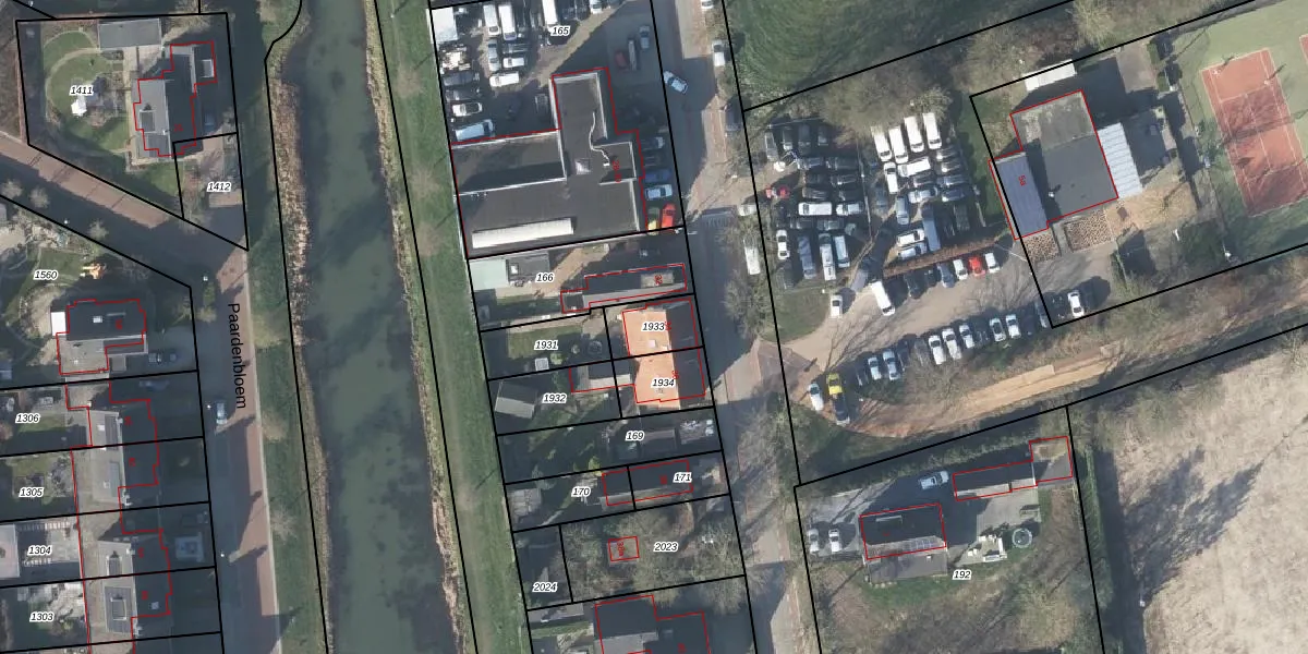
Perceel: HTR00-O-1933
KadastraleKaart.com kan meer dan je denktOntdek meer ›
Filter op bestemming 50+ datasets Eigendomsdata in één klik Percelen CRM
122 m2 - 45 m
Eigenaar opvragen
HTR00-O-1933 (Heteren)
- 6665 CB
HHdzXgPzMGt3n g98qyfmvUpgrade naar KadastraleKaart Pro
Verkoopprijs opvragen
Bekijk op Street View
Download DWG/DXF/Excel
ClecEUCYI Jab47Upgrade naar KadastraleKaart Pro
mRI4I1RZYUpgrade naar KadastraleKaart Pro
R3cJ4tDVxZUpgrade naar KadastraleKaart Pro
3Pf grdlZ8OVv62yXJ1wUpgrade naar KadastraleKaart Pro
ttmH9bgJm fe9lzyUpgrade naar KadastraleKaart Pro
T4 Y9olAgWU ZUp4bzAUpgrade naar KadastraleKaart Pro
AN 0q5Kt6LAq9J7CbZvqUpgrade naar KadastraleKaart Pro
cXNElBCDoaNEI4p2SEA dUpgrade naar KadastraleKaart Pro
N9yY ekls5ibIUpgrade naar KadastraleKaart Pro
oal5ZiEiG4Q7abpBUpgrade naar KadastraleKaart Pro
28/02/2017

Percelen
Gebruik de zoekbalk of klik op een perceel om informatie over het perceel te bekijken.