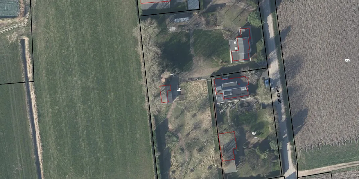
Perceel: HTR00-O-29
KadastraleKaart.com kan meer dan je denktOntdek meer ›
Filter op bestemming 50+ datasets Eigendomsdata in één klik Percelen CRM
5.304 m2 - 363 m
Eigenaar opvragen
HTR00-O-29 (Heteren)
- 6665 LD
DlmzImUyKE1fjcGz Z VVxeVw4WuCcUpgrade naar KadastraleKaart Pro
Verkoopprijs opvragen
Bekijk op Street View
Download DWG/DXF/Excel
JHUOax6KzajLFurAGUpgrade naar KadastraleKaart Pro
NeYcN61 DdAPxLPdF RaOUpgrade naar KadastraleKaart Pro
R b i4jgh8gZ UUpgrade naar KadastraleKaart Pro
xW E6MfokUEmx6pUpgrade naar KadastraleKaart Pro
VSOYlTYN IgcALwu SJKZWXUpgrade naar KadastraleKaart Pro
GmkmJkPPUpgrade naar KadastraleKaart Pro
WqnZ0LVKucPrBHCrKCmUpgrade naar KadastraleKaart Pro
iesD6 aEayXEw6Upgrade naar KadastraleKaart Pro
ncdAchjqUpgrade naar KadastraleKaart Pro
ep O CJioWO HaAiqL8IyLUpgrade naar KadastraleKaart Pro
04/10/2021

Percelen
Gebruik de zoekbalk of klik op een perceel om informatie over het perceel te bekijken.