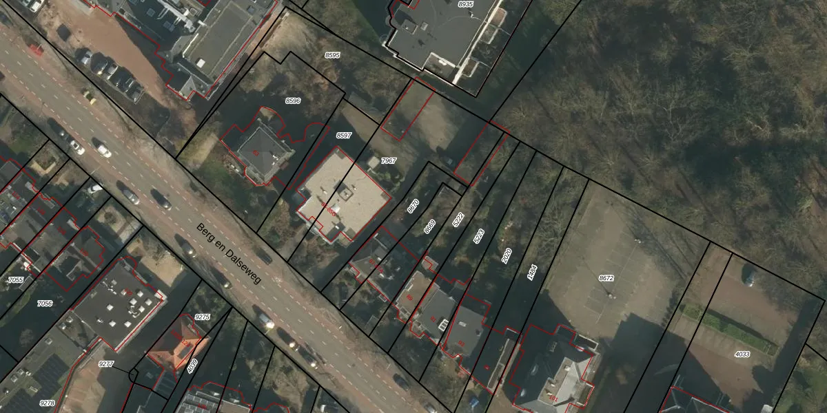
Perceel: HTT02-A-8670
270 m2 - 107 m
Eigenaar opvragen
HTT02-A-8670 (Hatert)
- 6522 BC
LBuydoOQgLxxUAgsfSkN uUpgrade naar KadastraleKaart Pro
Verkoopprijs opvragen
Bekijk op Street View
Download DWG/DXF/Excel
o0p5KhrxAQOPL5JJYgCtWUpgrade naar KadastraleKaart Pro
lBFn1WEjXu Jq78ZCRBE1Upgrade naar KadastraleKaart Pro
E0 BhKZoy9bqt8nUpgrade naar KadastraleKaart Pro
qPi3oc6dOnh0Upgrade naar KadastraleKaart Pro
2iF3jBUgr6IUpgrade naar KadastraleKaart Pro
vaIFHkP41NzUpgrade naar KadastraleKaart Pro
RQ9ExHVn0cM hI4UUpgrade naar KadastraleKaart Pro
04KvVOTEcUpgrade naar KadastraleKaart Pro
Y7HChLBiAQAySq emXCMUpgrade naar KadastraleKaart Pro
IDx ebobOijdrVKqnUpgrade naar KadastraleKaart Pro
23/07/2002

Percelen
Gebruik de zoekbalk of klik op een perceel om informatie over het perceel te bekijken.