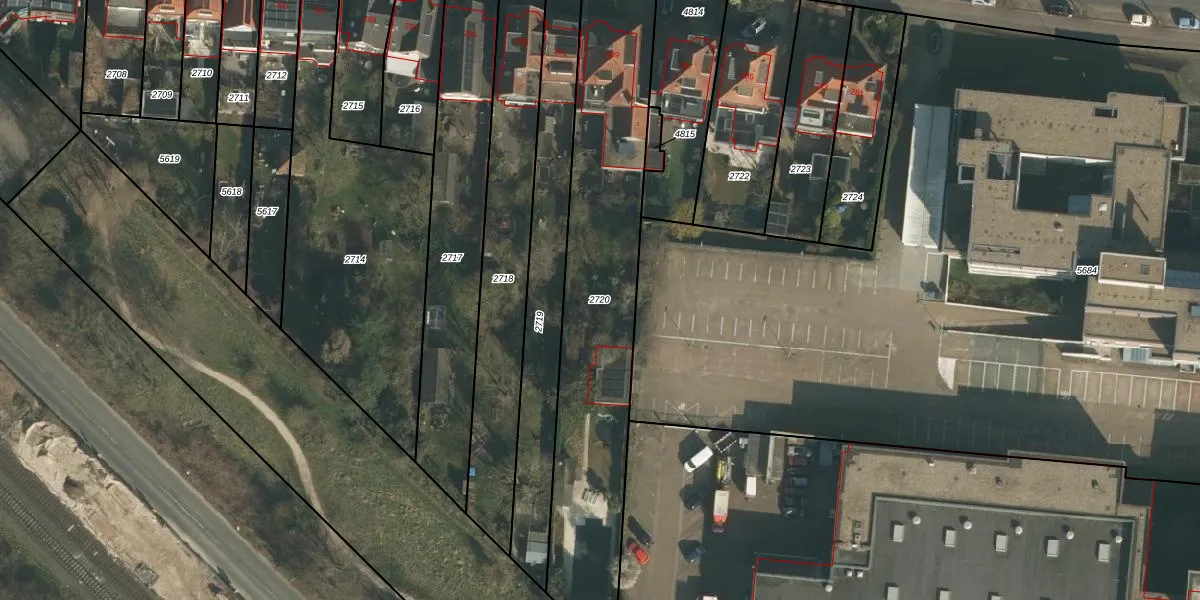
Perceel: HTT02-B-2720
1.330 m2 - 247 m
Eigenaar opvragen
HTT02-B-2720 (Hatert)
- 6524 TV
ouS X1LOxBvXb7UH9Upgrade naar KadastraleKaart Pro
Bekijk op Street View
Download DWG/DXF/Excel
pllvJqUVQUpgrade naar KadastraleKaart Pro
6lKyA7mr1jXK 8tmEUpgrade naar KadastraleKaart Pro
w3WiPOkK9cmgv6 dobUpgrade naar KadastraleKaart Pro
FKC8npje9OUpgrade naar KadastraleKaart Pro
2gmdmGZ1DYxeVBPCUpgrade naar KadastraleKaart Pro
b7QadUoZ6TRUpgrade naar KadastraleKaart Pro
5P9jRImeFjzeDtZ DVBUpgrade naar KadastraleKaart Pro
0n SXDT XUpgrade naar KadastraleKaart Pro
76BogqZo8Kvnaq9Upgrade naar KadastraleKaart Pro
v9w cla wBWlXL4tUpgrade naar KadastraleKaart Pro
24/04/2015

Percelen
Gebruik de zoekbalk of klik op een perceel om informatie over het perceel te bekijken.