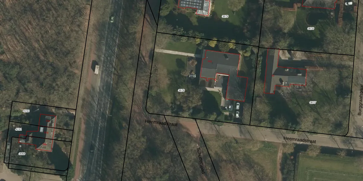
Perceel: HTT02-B-3678
2.560 m2 - 203 m
Eigenaar opvragen
HTT02-B-3678 (Hatert)
- 6525 ZG
DGJaZWbJ7m7 QyDHUpgrade naar KadastraleKaart Pro
Verkoopprijs opvragen
Bekijk op Street View
Download DWG/DXF/Excel
BcoB 2FvkOUpgrade naar KadastraleKaart Pro
oNzeg4T0QIrVJ InOo2Upgrade naar KadastraleKaart Pro
bdvI5GSHqJJIYL1o6O8HP yUpgrade naar KadastraleKaart Pro
TO7 ChgQ Upgrade naar KadastraleKaart Pro
VnkfDing7I3n9vJbE4RoUpgrade naar KadastraleKaart Pro
9S8Xb7rWvrq1S dhFt9Upgrade naar KadastraleKaart Pro
2PJIIxEjcKpvRxWMx3qUpgrade naar KadastraleKaart Pro
fcNhYq5PUpgrade naar KadastraleKaart Pro
JklPL1IwYhLlzocUpgrade naar KadastraleKaart Pro
vVamXJzy VevjyPEuvgix8ZUpgrade naar KadastraleKaart Pro
25/07/2002

Percelen
Gebruik de zoekbalk of klik op een perceel om informatie over het perceel te bekijken.