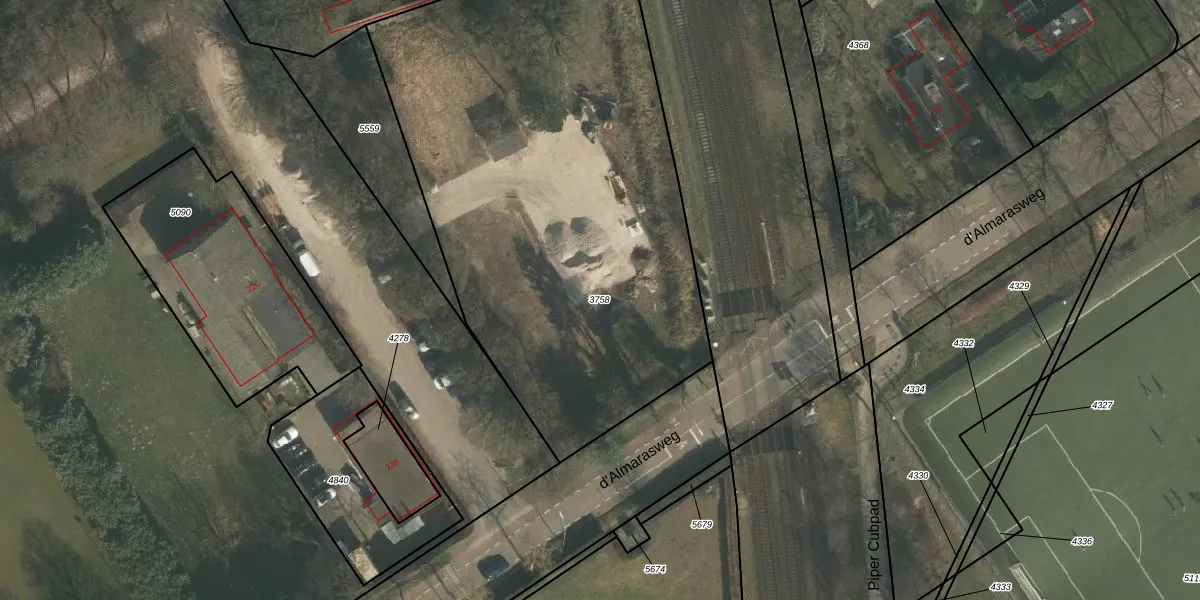
Perceel: HTT02-B-3758
KadastraleKaart.com kan meer dan je denktOntdek meer ›
Filter op bestemming 50+ datasets Eigendomsdata in één klik Percelen CRM
Geen adressen bij dit perceel
3.055 m2 - 228 m
Eigenaar opvragen
HTT02-B-3758 (Hatert)
- Geen postcode aanwezig
jvfm7vPaqr9OQI 2SUpgrade naar KadastraleKaart Pro
Bekijk op Street View
Download DWG/DXF/Excel
S DBvqOKDF 7Upgrade naar KadastraleKaart Pro
kFbvGNt0Gg5OUpgrade naar KadastraleKaart Pro
QAurfiaI 5OjtwCUolvZSliUpgrade naar KadastraleKaart Pro
K xs5wRqi eYT zKretjAaUpgrade naar KadastraleKaart Pro
XeDYcT k3ac01Q E9eJMLt9Upgrade naar KadastraleKaart Pro
QJcRv2kFYi5GLb sUpgrade naar KadastraleKaart Pro
YYQ9Q7817 PuOGKUpgrade naar KadastraleKaart Pro
0LLP jGhijOp bQg6xBUpgrade naar KadastraleKaart Pro
uU1XRZlvCsUpgrade naar KadastraleKaart Pro
uYljK7KrXn9XU3ThaXUpgrade naar KadastraleKaart Pro
12/07/2018

Percelen
Gebruik de zoekbalk of klik op een perceel om informatie over het perceel te bekijken.