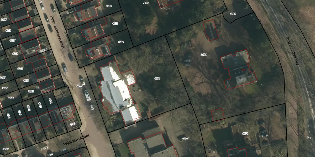
Perceel: HTT02-B-4209
2.555 m2 - 203 m
Eigenaar opvragen
HTT02-B-4209 (Hatert)
- 6525 DD
ewfFFnZZnrfa8zFTyf3S2xhrUpgrade naar KadastraleKaart Pro
Bekijk op Street View
Download DWG/DXF/Excel
kz4cLaUoy 9MP3TDOqUpgrade naar KadastraleKaart Pro
LUN A VF5QstfiUpgrade naar KadastraleKaart Pro
r6SF N JROybHVUpgrade naar KadastraleKaart Pro
S m YuMYlUpgrade naar KadastraleKaart Pro
w QRZ9h8p5OLxR1ZALUpgrade naar KadastraleKaart Pro
g 9JhJF41bUpgrade naar KadastraleKaart Pro
n6 dYW SORZ8WDe7OgsUpgrade naar KadastraleKaart Pro
S4wdHg2KOHYWuDUpgrade naar KadastraleKaart Pro
JErAqicw PesvXtl1Upgrade naar KadastraleKaart Pro
Fnv FgL LUpgrade naar KadastraleKaart Pro
24/07/2002

Percelen
Gebruik de zoekbalk of klik op een perceel om informatie over het perceel te bekijken.