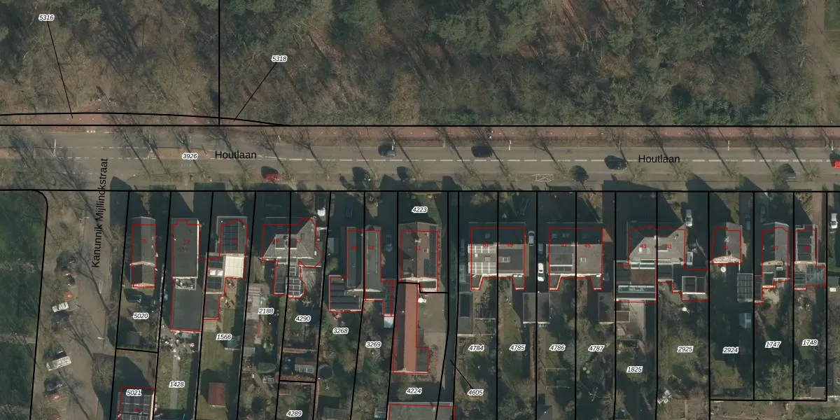
Perceel: HTT02-B-4223
283 m2 - 72 m
Eigenaar opvragen
HTT02-B-4223 (Hatert)
- 6525 ZB
sCT1pXsOC4WYCYrhLUpgrade naar KadastraleKaart Pro
Bekijk op Street View
Download DWG/DXF/Excel
WfTldjwd Upgrade naar KadastraleKaart Pro
zZ7Aov4 DJSLrp Upgrade naar KadastraleKaart Pro
vwzC6VOUT3 qY3aDOUpgrade naar KadastraleKaart Pro
Ylzoz2 65Upgrade naar KadastraleKaart Pro
BpNoGbqCvgJXfqFeCZN pB3Upgrade naar KadastraleKaart Pro
L hf1yNFPCGcX4yOUpgrade naar KadastraleKaart Pro
orntc2sV 3oqLeMeUpgrade naar KadastraleKaart Pro
14wPiPBPUQ YD Upgrade naar KadastraleKaart Pro
kgl4BJ4wRUpgrade naar KadastraleKaart Pro
e7K1viIG8Upgrade naar KadastraleKaart Pro
25/07/2002

Percelen
Gebruik de zoekbalk of klik op een perceel om informatie over het perceel te bekijken.