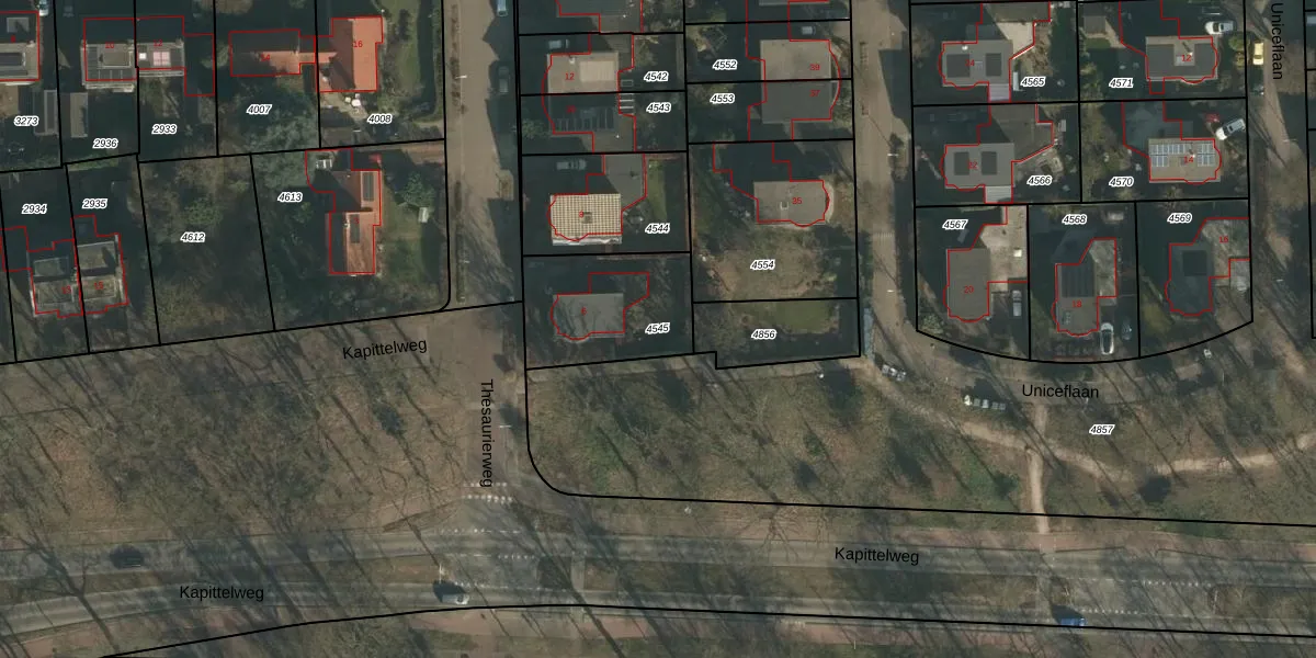
Perceel: HTT02-B-4545
418 m2 - 84 m
Eigenaar opvragen
HTT02-B-4545 (Hatert)
- 6525 ES
ZDZ GFY47OXu0ZTT1J zOenjtFcyUpgrade naar KadastraleKaart Pro
Bekijk op Street View
Download DWG/DXF/Excel
h7S9U M 5t 2LYvUpgrade naar KadastraleKaart Pro
k5Z5th0cytrpgxiBdk6Upgrade naar KadastraleKaart Pro
aSeMdjY NcpcobHUpgrade naar KadastraleKaart Pro
KZ2KCkOOUb7n6Upgrade naar KadastraleKaart Pro
ZE6WDrtytVkj Upgrade naar KadastraleKaart Pro
9MykQPNfUpgrade naar KadastraleKaart Pro
uj 6cMg5f Ge0yiOmYSoZUpgrade naar KadastraleKaart Pro
p6ZLjrmb fEk6SN5Upgrade naar KadastraleKaart Pro
iuS7KmtxY9SLl83yzUpgrade naar KadastraleKaart Pro
eN K Wi QszyL3To0 Upgrade naar KadastraleKaart Pro
28/01/2003

Percelen
Gebruik de zoekbalk of klik op een perceel om informatie over het perceel te bekijken.