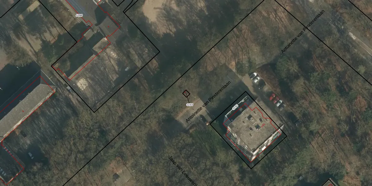
Perceel: HTT02-D-3193
8 m2 - 11 m
Eigenaar opvragen
HTT02-D-3193 (Hatert)
- 6532 CW
Os00VPX2M6y7 sms mDSil6yUpgrade naar KadastraleKaart Pro
Bekijk op Street View
Download DWG/DXF/Excel
MilxzH98z6WIUpgrade naar KadastraleKaart Pro
QWBi4 hGK6h srdta1nXK0kUpgrade naar KadastraleKaart Pro
roWzd0 k9F yUpgrade naar KadastraleKaart Pro
SVda1HT IPFjTdfPsh8Upgrade naar KadastraleKaart Pro
C8WLb6G 1GV33hmK06kFUpgrade naar KadastraleKaart Pro
PA juuDcbcr Vr7VlUpgrade naar KadastraleKaart Pro
qm7Ey5 pzlGxxGBjUpgrade naar KadastraleKaart Pro
ALeqNdyLsUpgrade naar KadastraleKaart Pro
qHxkdkFNySt7vXokwDgUpgrade naar KadastraleKaart Pro
15pMQNqru UkExDHjE5zQJOUpgrade naar KadastraleKaart Pro
22/01/1998

Percelen
Gebruik de zoekbalk of klik op een perceel om informatie over het perceel te bekijken.