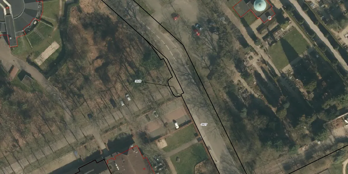
Perceel: HTT02-D-3928
Geen adressen bij dit perceel
92 m2 - 92 m
Eigenaar opvragen
HTT02-D-3928 (Hatert)
- Geen postcode aanwezig
TxpVbSfmTkfdhUiLVMCDNGkCX10xQuUpgrade naar KadastraleKaart Pro
Bekijk op Street View
Download DWG/DXF/Excel
UWA9Df 4mP3AjP0O69yUpgrade naar KadastraleKaart Pro
EXt5yvq2ca4fngea8OINSUpgrade naar KadastraleKaart Pro
S200MHnUc IJhWKqUxCnJWUpgrade naar KadastraleKaart Pro
jp87IL 3G4 6Upgrade naar KadastraleKaart Pro
YxR Qn0K EMd3Upgrade naar KadastraleKaart Pro
b3r0e1oEk1zoiiVwkDUpgrade naar KadastraleKaart Pro
g8t60SAtLtkjxXgRUpgrade naar KadastraleKaart Pro
Mwn0BdSuuME7dUpgrade naar KadastraleKaart Pro
djskup4auRyY mQUM 2Upgrade naar KadastraleKaart Pro
9uZ wLlpTGKRaH11TLJWAjfUpgrade naar KadastraleKaart Pro
11/07/2002

Percelen
Gebruik de zoekbalk of klik op een perceel om informatie over het perceel te bekijken.