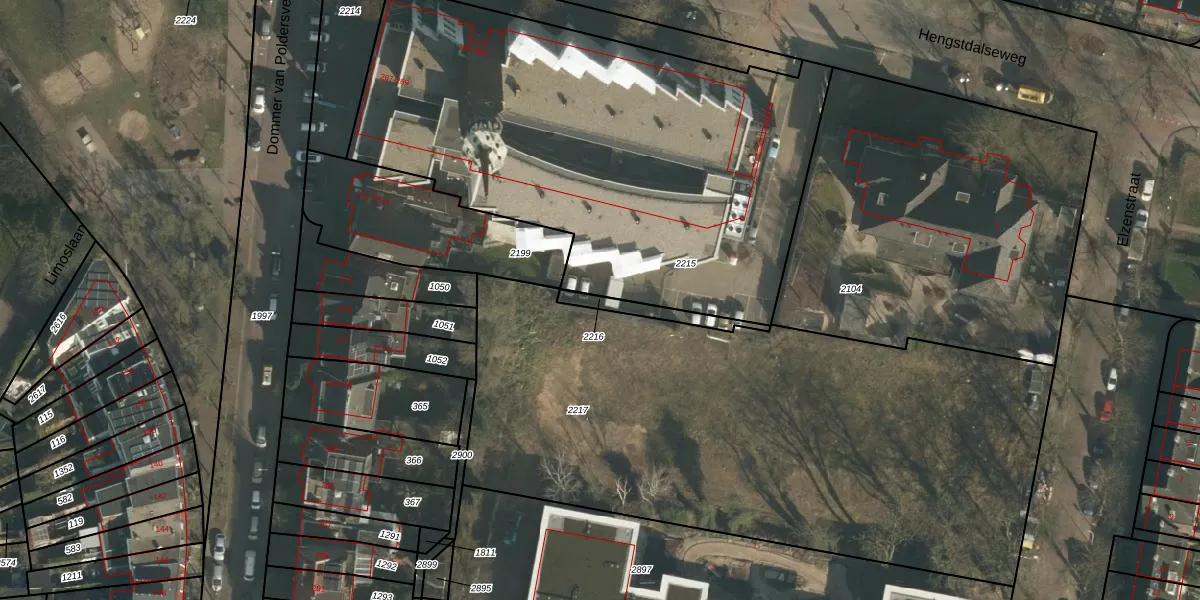
Perceel: HTT02-H-2216
Geen adressen bij dit perceel
74 m2 - 76 m
Eigenaar opvragen
HTT02-H-2216 (Hatert)
- Geen postcode aanwezig
KWpiiwBVihMPrMufy KUpgrade naar KadastraleKaart Pro
Bekijk op Street View
Download DWG/DXF/Excel
Fz0bjzsoKk2L8rUpgrade naar KadastraleKaart Pro
cl1VH4INm8WgI9RjlfUpgrade naar KadastraleKaart Pro
NhrXMMeBmVUpgrade naar KadastraleKaart Pro
f 8vRYApD GS NDTeUpgrade naar KadastraleKaart Pro
ed8FolLAV aUpgrade naar KadastraleKaart Pro
titoPLKI7PKpdFxUpgrade naar KadastraleKaart Pro
urkvc tRUpgrade naar KadastraleKaart Pro
6YPHNC990RCWopnEv4qPevUpgrade naar KadastraleKaart Pro
4UHI5K9gUpgrade naar KadastraleKaart Pro
J sPBFLg4S JxD 2wUpgrade naar KadastraleKaart Pro
30/07/2002

Percelen
Gebruik de zoekbalk of klik op een perceel om informatie over het perceel te bekijken.