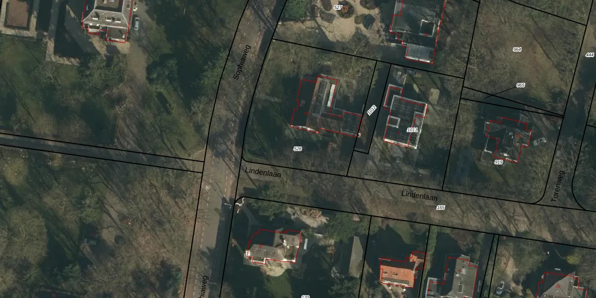
Perceel: HTT02-I-528
1.525 m2 - 153 m
Eigenaar opvragen
HTT02-I-528 (Hatert)
- 6523 NE
dCpdBuED9h 1Z DAAUpgrade naar KadastraleKaart Pro
Verkoopprijs opvragen
Bekijk op Street View
Download DWG/DXF/Excel
Mznd KqyyECcyV vcah3yUpgrade naar KadastraleKaart Pro
4tl6sZP3bTExRC1wZRh19xUpgrade naar KadastraleKaart Pro
g KqMA2wBX6 bUpgrade naar KadastraleKaart Pro
FefMlw0zW 9Upgrade naar KadastraleKaart Pro
F2KtPi5Ags04zbyjr4OqcUpgrade naar KadastraleKaart Pro
FxuGO6 TtxUpgrade naar KadastraleKaart Pro
V Kkh tlXeB 1rTWgL8aUpgrade naar KadastraleKaart Pro
K NC L5Upgrade naar KadastraleKaart Pro
fTnhwPcV nC7eIn3uUpgrade naar KadastraleKaart Pro
I8DyontAc l87v Upgrade naar KadastraleKaart Pro
01/09/2023

Percelen
Gebruik de zoekbalk of klik op een perceel om informatie over het perceel te bekijken.