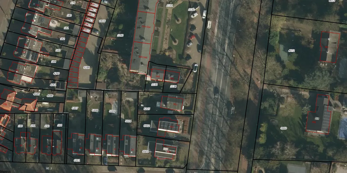
Perceel: HTT02-L-1134
190 m2 - 56 m
Eigenaar opvragen
HTT02-L-1134 (Hatert)
- 6525 ZV
ebIklifdmrbRI8qauof7Upgrade naar KadastraleKaart Pro
Verkoopprijs opvragen
Bekijk op Street View
Download DWG/DXF/Excel
YgtT76dhiNy8LMQiJlUpgrade naar KadastraleKaart Pro
jF9bdXuAqoQk jlXPOiUpgrade naar KadastraleKaart Pro
LAbuCIJqV9EhMHQqNuanUmUpgrade naar KadastraleKaart Pro
2HQSXxki6i4io3Dke1OSUpgrade naar KadastraleKaart Pro
gej30w2eMVmUpgrade naar KadastraleKaart Pro
NO9l7 h Upgrade naar KadastraleKaart Pro
7HYc DSYHDxwXrP66cUpgrade naar KadastraleKaart Pro
r9YZb64Cm PZD Upgrade naar KadastraleKaart Pro
3LOIHKbtfxcE4tJNIUpgrade naar KadastraleKaart Pro
MFoep6tlbHUpgrade naar KadastraleKaart Pro
27/10/2010

Percelen
Gebruik de zoekbalk of klik op een perceel om informatie over het perceel te bekijken.