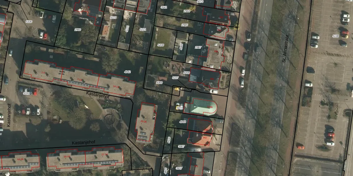
Perceel: HTT02-L-5069
Geen adressen bij dit perceel
23 m2 - 19 m
Eigenaar opvragen
HTT02-L-5069 (Hatert)
- Geen postcode aanwezig
MLTPqNgrpsDX vVtqp3GT3 yUpgrade naar KadastraleKaart Pro
Bekijk op Street View
Download DWG/DXF/Excel
nR9zY3EpmYKQFUpgrade naar KadastraleKaart Pro
j4mjmY1my KM9jUpgrade naar KadastraleKaart Pro
O16ANSObSrV6dm0NMUpgrade naar KadastraleKaart Pro
CWgHGrG6eqUpgrade naar KadastraleKaart Pro
TW 1CqMgYhQfZgP DiUpgrade naar KadastraleKaart Pro
t3 6a EjamFUpgrade naar KadastraleKaart Pro
Q vHIKAqLUpgrade naar KadastraleKaart Pro
q jY9WnVPoy6rRLuEVryzzUpgrade naar KadastraleKaart Pro
s4 FgU4hvlUpgrade naar KadastraleKaart Pro
DF226tAD9LKVDZKZuWUpgrade naar KadastraleKaart Pro
09/05/2012

Percelen
Gebruik de zoekbalk of klik op een perceel om informatie over het perceel te bekijken.