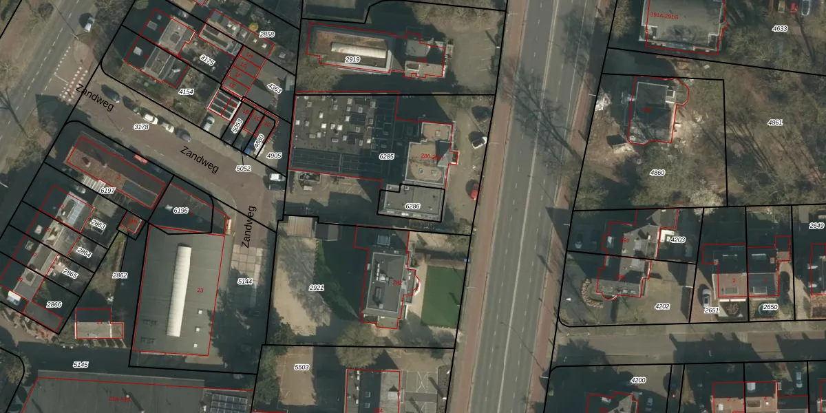
Perceel: HTT02-L-6286
Geen adressen bij dit perceel
109 m2 - 47 m
Eigenaar opvragen
HTT02-L-6286 (Hatert)
- Geen postcode aanwezig
zUuRk lZ8gKjffYGNUpgrade naar KadastraleKaart Pro
Bekijk op Street View
Download DWG/DXF/Excel
qZrNv 3vq7VLwMuUpgrade naar KadastraleKaart Pro
O7dM7S 1ZRXUpgrade naar KadastraleKaart Pro
RFlIYDyXbz13mvIgHMyKm DUpgrade naar KadastraleKaart Pro
lGrH7uQXvx PTKU XUpgrade naar KadastraleKaart Pro
5o9iSwasZCk5rOEwpa0Upgrade naar KadastraleKaart Pro
cSj2LMDhYCI3jWVfUUUpgrade naar KadastraleKaart Pro
tBhB 7qHSFd aa5ZUpgrade naar KadastraleKaart Pro
yXtpbjKjwAOIsoaUpgrade naar KadastraleKaart Pro
kEv pbpUpgrade naar KadastraleKaart Pro
M xdJPaYKlDMp2AqF2Upgrade naar KadastraleKaart Pro
06/05/2025

Percelen
Gebruik de zoekbalk of klik op een perceel om informatie over het perceel te bekijken.