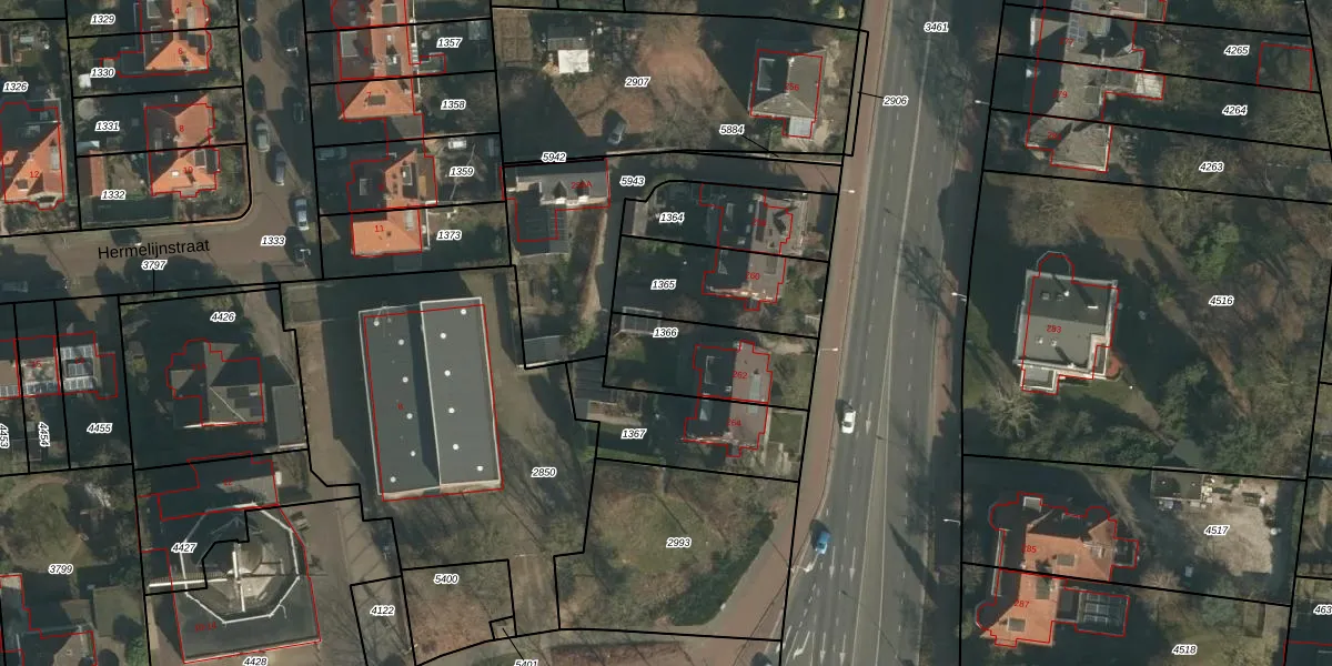
Perceel: HTT02-M-1366
347 m2 - 85 m
Eigenaar opvragen
HTT02-M-1366 (Hatert)
- 6525 HA
utlw jKSMozSp1zG4zvWJvc5plnW2E Upgrade naar KadastraleKaart Pro
Verkoopprijs opvragen
Bekijk op Street View
Download DWG/DXF/Excel
Ym7N0AI 3usc8zklbyGOE0Upgrade naar KadastraleKaart Pro
FXE3plBK8wUpgrade naar KadastraleKaart Pro
znUENZ5rPZdUUpgrade naar KadastraleKaart Pro
gdf gJA71H sFW BLlKGUpgrade naar KadastraleKaart Pro
zNd AZr7 erUpgrade naar KadastraleKaart Pro
ixLpcgvvI xZlCYdP guTUUpgrade naar KadastraleKaart Pro
8vEtE OVUpgrade naar KadastraleKaart Pro
8Z9dlY5Z9sNSpujeag7 zUpgrade naar KadastraleKaart Pro
QANaxA bPoUEi7V4Upgrade naar KadastraleKaart Pro
Vn 8C7OYU9rTKbdXC Upgrade naar KadastraleKaart Pro
22/07/2002

Percelen
Gebruik de zoekbalk of klik op een perceel om informatie over het perceel te bekijken.