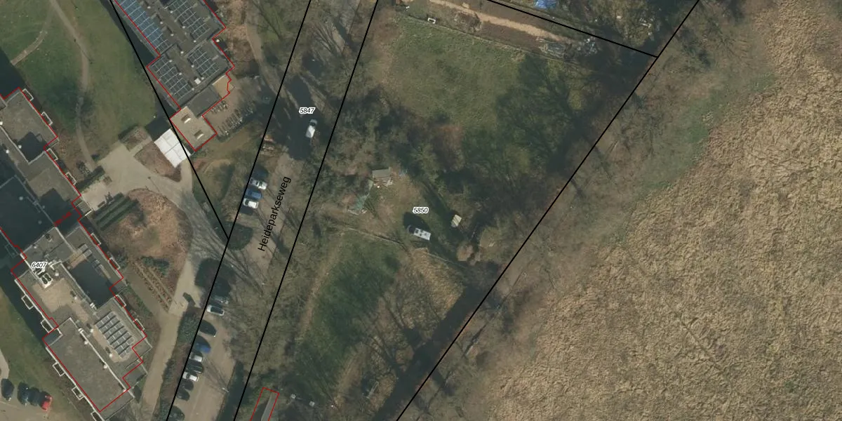
Perceel: HTT02-M-5850
Geen adressen bij dit perceel
6.145 m2 - 362 m
Eigenaar opvragen
HTT02-M-5850 (Hatert)
- Geen postcode aanwezig
IFIYzEh6TMjC1af tmfXO3Ao7m3rWUpgrade naar KadastraleKaart Pro
Bekijk op Street View
Download DWG/DXF/Excel
fJOqQ1cCPZg UaYdUpgrade naar KadastraleKaart Pro
Id8SHYulPkqUpgrade naar KadastraleKaart Pro
meWop09Xkne0p 19pQ63Gl4Upgrade naar KadastraleKaart Pro
f5697pMFyxHUpgrade naar KadastraleKaart Pro
rUeQewNGj0USUGS XUpgrade naar KadastraleKaart Pro
GqEDoA2sjYkcrr b85WUoUpgrade naar KadastraleKaart Pro
TWtphPjfileXGHUpgrade naar KadastraleKaart Pro
93O1sNV5MGU2swH87Upgrade naar KadastraleKaart Pro
wBbOyOlciaUpgrade naar KadastraleKaart Pro
nOTpyK6vgzKBUpgrade naar KadastraleKaart Pro
19/01/2016

Percelen
Gebruik de zoekbalk of klik op een perceel om informatie over het perceel te bekijken.