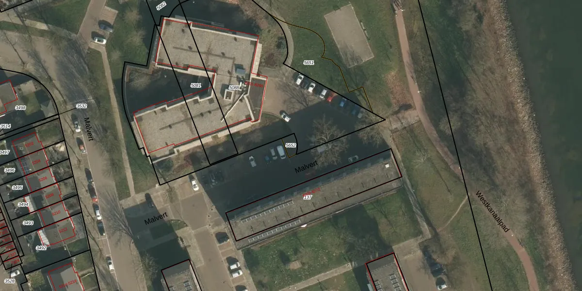
Perceel: HTT02-N-5652
Geen adressen bij dit perceel
29 m2 - 22 m
Eigenaar opvragen
HTT02-N-5652 (Hatert)
- Geen postcode aanwezig
ErJcp9zze 3lrKfmG6A dukl KAUpgrade naar KadastraleKaart Pro
Bekijk op Street View
Download DWG/DXF/Excel
Yl6l5rnGZUpgrade naar KadastraleKaart Pro
eNw ckebDQKXvOvfnfUpgrade naar KadastraleKaart Pro
bU6v0mUcFuGvOznHEUpgrade naar KadastraleKaart Pro
8 Unc6gTMUpgrade naar KadastraleKaart Pro
N9J0fVqlTvEBKy1TI4tUpgrade naar KadastraleKaart Pro
ikiqp5j5M ISn Upgrade naar KadastraleKaart Pro
8HuPB zSYA Upgrade naar KadastraleKaart Pro
9VCAidqeUpgrade naar KadastraleKaart Pro
ujep6Nhol4T28hCUpgrade naar KadastraleKaart Pro
ErX Ag1 rpjHpRi1Upgrade naar KadastraleKaart Pro
15/09/2025

Percelen
Gebruik de zoekbalk of klik op een perceel om informatie over het perceel te bekijken.