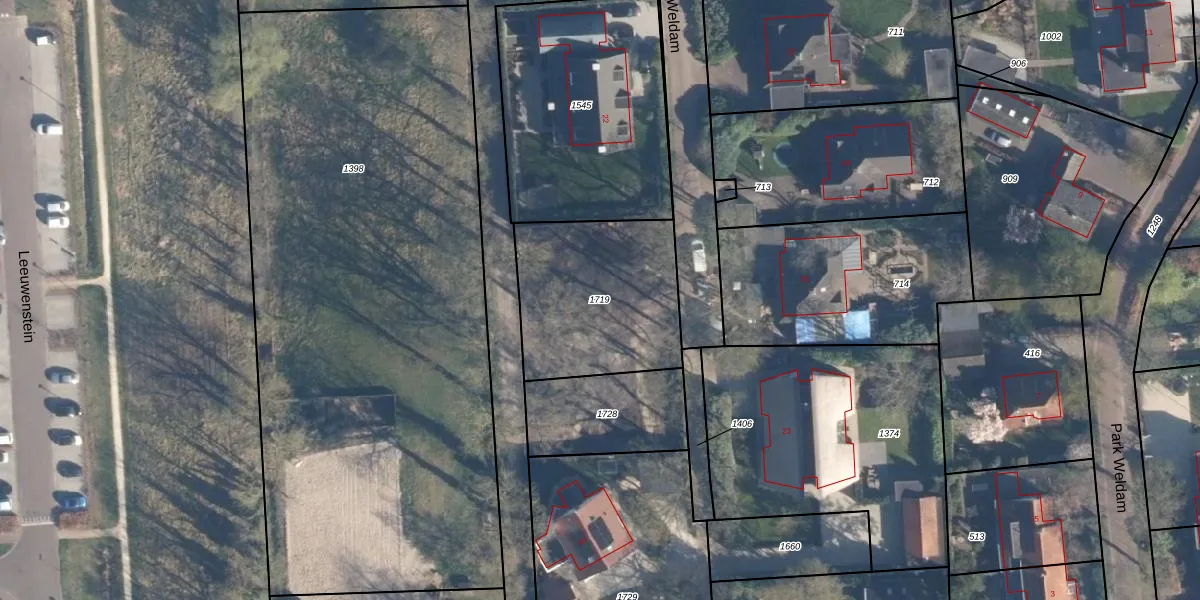
Perceel: HVL00-A-1719
KadastraleKaart.com kan meer dan je denktOntdek meer ›
Filter op bestemming 50+ datasets Eigendomsdata in één klik Percelen CRM
680 m2 - 105 m
Eigenaar opvragen
HVL00-A-1719 (Hoevelaken)
- 3871 BN
LmBHxypcGqz0ffsnJOgWr6oKpe9I1Upgrade naar KadastraleKaart Pro
Bekijk op Street View
Download DWG/DXF/Excel
03w3 4nZYUpgrade naar KadastraleKaart Pro
4Ml71ZjTSr7hoD0uCQXchGUpgrade naar KadastraleKaart Pro
VU0TpTGNOmrUpgrade naar KadastraleKaart Pro
GTGl cxQU Sqi0O uWUpgrade naar KadastraleKaart Pro
2l2dvR0 LcUpgrade naar KadastraleKaart Pro
a1cJTK7 aYBpM r22HfYsLUpgrade naar KadastraleKaart Pro
XcNSalyvIkyC3Rc Q4urKyUpgrade naar KadastraleKaart Pro
bQJj8n8jTB0kL10uaBgoUpgrade naar KadastraleKaart Pro
wA cyx953uTwFT aJaBOUpgrade naar KadastraleKaart Pro
zZXA UsVH 7RTiwVavBEqPUpgrade naar KadastraleKaart Pro
05/09/2022

Percelen
Gebruik de zoekbalk of klik op een perceel om informatie over het perceel te bekijken.