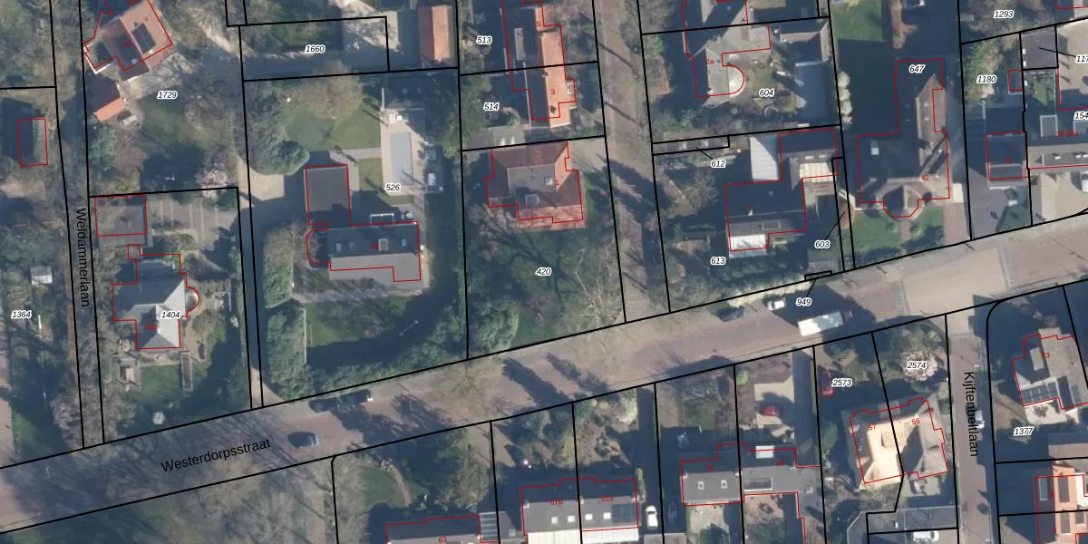
Perceel: HVL00-A-420
KadastraleKaart.com kan meer dan je denktOntdek meer ›
Filter op bestemming 50+ datasets Eigendomsdata in één klik Percelen CRM
1.040 m2 - 129 m
Eigenaar opvragen
HVL00-A-420 (Hoevelaken)
- 3871 BN
pTNZrnbvjwaf384hXf2AUpgrade naar KadastraleKaart Pro
Bekijk op Street View
Download DWG/DXF/Excel
yS KYU gSL0UcaKlD tTjUpgrade naar KadastraleKaart Pro
Z0KBhuoUpgrade naar KadastraleKaart Pro
LWDe1M0EUpgrade naar KadastraleKaart Pro
07FivLxo5qOdx3Upgrade naar KadastraleKaart Pro
tammr H3Z9PaoUpgrade naar KadastraleKaart Pro
hYgDcIk CUpgrade naar KadastraleKaart Pro
Dj9zUSmCujMEe Upgrade naar KadastraleKaart Pro
ocDYZMbMbq HUpgrade naar KadastraleKaart Pro
IpiIsH XjwgSM9yUpgrade naar KadastraleKaart Pro
ra0SmCwcjtR8CUpgrade naar KadastraleKaart Pro
31/03/2003

Percelen
Gebruik de zoekbalk of klik op een perceel om informatie over het perceel te bekijken.