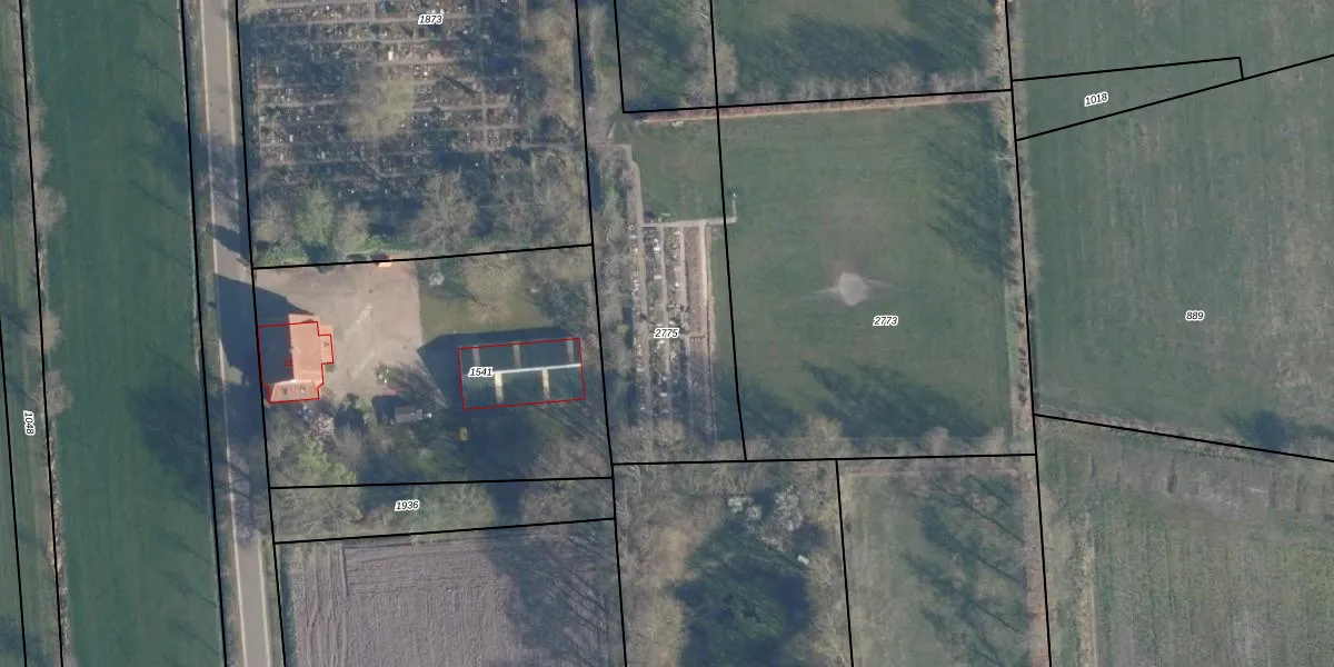
Perceel: HVL00-B-2775
KadastraleKaart.com kan meer dan je denktOntdek meer ›
Filter op bestemming 50+ datasets Eigendomsdata in één klik Percelen CRM
Geen adressen bij dit perceel
1.290 m2 - 226 m
Eigenaar opvragen
HVL00-B-2775 (Hoevelaken)
- Geen postcode aanwezig
5WDyvyECWasYlVNLUpgrade naar KadastraleKaart Pro
Bekijk op Street View
Download DWG/DXF/Excel
1NkC5LIFcO lDqAUpgrade naar KadastraleKaart Pro
5ARV6P iUpgrade naar KadastraleKaart Pro
MZk8QsFwUIUpgrade naar KadastraleKaart Pro
IDmRugYxIm7Upgrade naar KadastraleKaart Pro
QK9 6DZ JJys8ITCLUpgrade naar KadastraleKaart Pro
VJKmq SPN6k ImtUpgrade naar KadastraleKaart Pro
dxR5i LVX6XyaW2N7uVVIA Upgrade naar KadastraleKaart Pro
nCFC if8v2Upgrade naar KadastraleKaart Pro
1PsjRTvhY pNn9 9nUpgrade naar KadastraleKaart Pro
ULRUBxkvMzzl27N Upgrade naar KadastraleKaart Pro
16/11/2006

Percelen
Gebruik de zoekbalk of klik op een perceel om informatie over het perceel te bekijken.