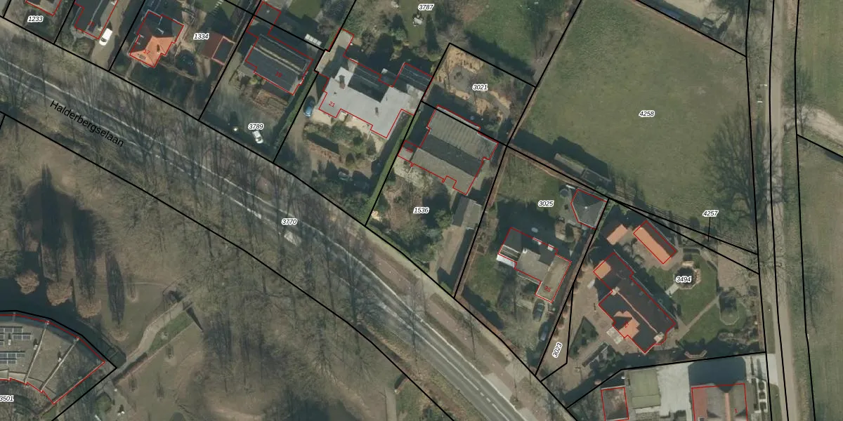
Perceel: HVN00-D-1536
KadastraleKaart.com kan meer dan je denktOntdek meer ›
Filter op bestemming 50+ datasets Eigendomsdata in één klik Percelen CRM
860 m2 - 121 m
Eigenaar opvragen
HVN00-D-1536 (Hoeven)
- 4741 AA
n BC2VlcWzHcaEwFtX7OqcK8NUpgrade naar KadastraleKaart Pro
Verkoopprijs opvragen
Bekijk op Street View
Download DWG/DXF/Excel
bK6dLqdt a09h3RFVlcbuUpgrade naar KadastraleKaart Pro
csEVaJ7 qM1Upgrade naar KadastraleKaart Pro
KKeeTYGbtXQ1QUXYUpgrade naar KadastraleKaart Pro
M 7Qr21HXAb1a6hZgGOUpgrade naar KadastraleKaart Pro
a6LduuoF pgUUpgrade naar KadastraleKaart Pro
iS2qTJve3IUMUpgrade naar KadastraleKaart Pro
soDoAIPu6 lL63EUpgrade naar KadastraleKaart Pro
4s msBVpaRhB3ruQUpgrade naar KadastraleKaart Pro
ZpIXl5sAgRUpgrade naar KadastraleKaart Pro
LK A AjCR2cg RQ2F Upgrade naar KadastraleKaart Pro
16/09/2009

Percelen
Gebruik de zoekbalk of klik op een perceel om informatie over het perceel te bekijken.