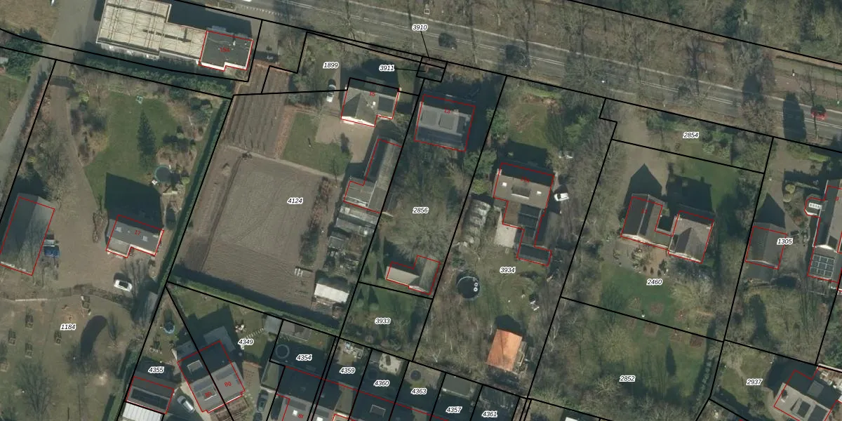
Perceel: HVN00-D-2856
1.000 m2 - 149 m
Eigenaar opvragen
HVN00-D-2856 (Hoeven)
- 4741 RP
kJOChlC bsF DAWvLS JNWQfjVoUpgrade naar KadastraleKaart Pro
Bekijk op Street View
Download DWG/DXF/Excel
gpQK8BSrAsuLUpgrade naar KadastraleKaart Pro
C6WesI5w9OUpgrade naar KadastraleKaart Pro
dcc98u6a3M vaGUpgrade naar KadastraleKaart Pro
7sGxaMZne5D4sUfzUpgrade naar KadastraleKaart Pro
63 hhkwCFCuEUpgrade naar KadastraleKaart Pro
8WI tf rbxzoYyVgXsRUpgrade naar KadastraleKaart Pro
PzUN Gm vUqQEBny8ZTWKUpgrade naar KadastraleKaart Pro
QWudAhKEHgw LUpgrade naar KadastraleKaart Pro
tsZrtPuFF nJbhd1QO14 QUpgrade naar KadastraleKaart Pro
RxR eEryMYUpgrade naar KadastraleKaart Pro
12/04/2010

Percelen
Gebruik de zoekbalk of klik op een perceel om informatie over het perceel te bekijken.