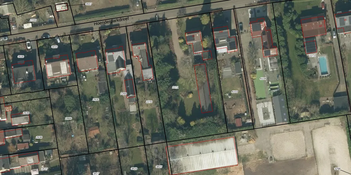
Perceel: HVN00-G-2271
KadastraleKaart.com kan meer dan je denktOntdek meer ›
Filter op bestemming 50+ datasets Eigendomsdata in één klik Percelen CRM
2.410 m2 - 210 m
Eigenaar opvragen
HVN00-G-2271 (Hoeven)
- 4744 RD
lQRXm5 DEzqJB7 HTHcW xFx7TVORgAUpgrade naar KadastraleKaart Pro
Bekijk op Street View
Download DWG/DXF/Excel
YBq2gdf1O4Al6m PpUpgrade naar KadastraleKaart Pro
gm PdHSJHUpgrade naar KadastraleKaart Pro
3HkERmlhME59iAe nSUpgrade naar KadastraleKaart Pro
yseYo VdEq 6xHFzMUpgrade naar KadastraleKaart Pro
2Iyt6bd yy2kR98yUpgrade naar KadastraleKaart Pro
9eqKD6tnf hUpgrade naar KadastraleKaart Pro
4qxUz2SUrXfUpgrade naar KadastraleKaart Pro
2fTColV DbEnqM1d1FvyOUpgrade naar KadastraleKaart Pro
GsOngaRyZesUpgrade naar KadastraleKaart Pro
r6WlLJgI5blOSOWsgUA2h94Upgrade naar KadastraleKaart Pro
28/10/2015

Percelen
Gebruik de zoekbalk of klik op een perceel om informatie over het perceel te bekijken.