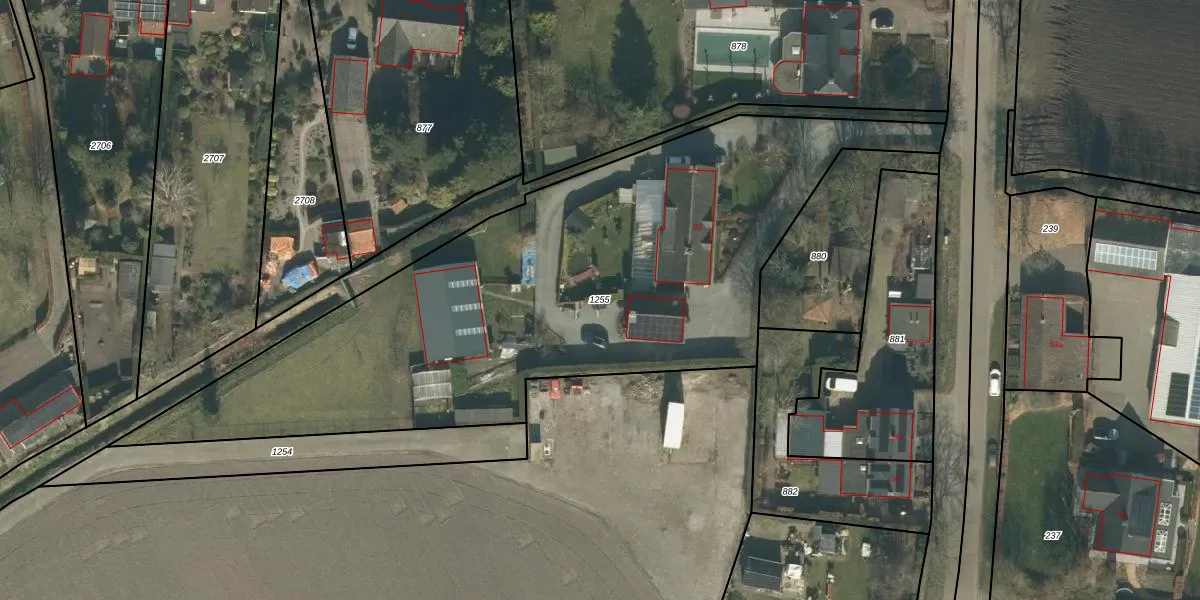
Perceel: HVN00-H-1255
KadastraleKaart.com kan meer dan je denktOntdek meer ›
Filter op bestemming 50+ datasets Eigendomsdata in één klik Percelen CRM
3.035 m2 - 333 m
Eigenaar opvragen
HVN00-H-1255 (Hoeven)
- 4741 TT
Nhd8SE5IcqPbvoMXNzDFS9Upgrade naar KadastraleKaart Pro
Verkoopprijs opvragen
Bekijk op Street View
Download DWG/DXF/Excel
OCJybFPXUHzX y7c9orUpgrade naar KadastraleKaart Pro
mw6diZXtdtJ2d13Upgrade naar KadastraleKaart Pro
3Y21svPMlQARfj 7amUpgrade naar KadastraleKaart Pro
tfO7KZU dfUpgrade naar KadastraleKaart Pro
j4b3uMp5 XD9z7BMUpgrade naar KadastraleKaart Pro
Vv AGoH XC0lOhOUpgrade naar KadastraleKaart Pro
Wg6Pju kE6NG wESwfWlUpgrade naar KadastraleKaart Pro
PLcktONdVEgUpgrade naar KadastraleKaart Pro
jBeI mM2pyVE4UvY29MjUpgrade naar KadastraleKaart Pro
j3IWtLfeJXk K3DzWigDUpgrade naar KadastraleKaart Pro
21/09/2009

Percelen
Gebruik de zoekbalk of klik op een perceel om informatie over het perceel te bekijken.