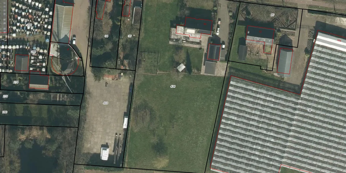
Perceel: HVN00-L-434
KadastraleKaart.com kan meer dan je denktOntdek meer ›
Filter op bestemming 50+ datasets Eigendomsdata in één klik Percelen CRM
5.305 m2 - 309 m
Eigenaar opvragen
HVN00-L-434 (Hoeven)
- 4741 RC
j 8Gdq7meUdpZcnm5K2ek4kwyUbUpgrade naar KadastraleKaart Pro
Verkoopprijs opvragen
Bekijk op Street View
Download DWG/DXF/Excel
IrpgB 1 qicUpgrade naar KadastraleKaart Pro
iB5ru6BAUDG q90RuUpgrade naar KadastraleKaart Pro
D79YeZlMUpgrade naar KadastraleKaart Pro
hcnlDZZ g 9zkciUpgrade naar KadastraleKaart Pro
mMYqFdGSqLuzJp a3MbUpgrade naar KadastraleKaart Pro
ZJhEtavdqhnv4nqUpgrade naar KadastraleKaart Pro
TYQrHDW5t2yUpgrade naar KadastraleKaart Pro
Drym5 gHUO7k3Upgrade naar KadastraleKaart Pro
SIRS Z7cmjbp EfXf5hKUpgrade naar KadastraleKaart Pro
9QAeqvbLf yIr44eUpgrade naar KadastraleKaart Pro
21/09/2009

Percelen
Gebruik de zoekbalk of klik op een perceel om informatie over het perceel te bekijken.