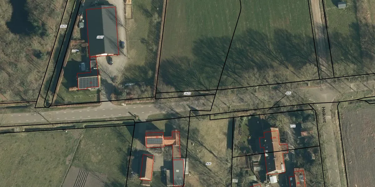
Perceel: HVR00-N-1623
Geen adressen bij dit perceel
90 m2 - 71 m
Eigenaar opvragen
HVR00-N-1623 (Hilvarenbeek)
- Geen postcode aanwezig
q yNsNn5Fsu92oCYIi2epnIiUpgrade naar KadastraleKaart Pro
Bekijk op Street View
Download DWG/DXF/Excel
1hYwYK WUpgrade naar KadastraleKaart Pro
uSsJuxrocFlbUpgrade naar KadastraleKaart Pro
t kzWx6uJ9TUpgrade naar KadastraleKaart Pro
hsTBN8AL3AxcS 3l WUpgrade naar KadastraleKaart Pro
ft2cwqMjzeqosjUpgrade naar KadastraleKaart Pro
FepU3S91VK n61B aG3GkUpgrade naar KadastraleKaart Pro
aLtu1dRv iBdwOUpgrade naar KadastraleKaart Pro
9TVTeU2zWFJa4HvxUltWUpgrade naar KadastraleKaart Pro
on ap W8q3F1njx9LssUpgrade naar KadastraleKaart Pro
2mC6LK V OBxUpgrade naar KadastraleKaart Pro
15/06/2010

Percelen
Gebruik de zoekbalk of klik op een perceel om informatie over het perceel te bekijken.