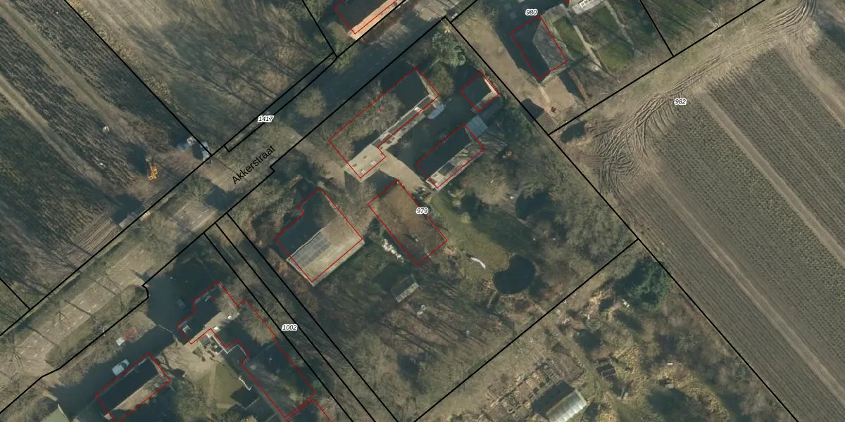
Perceel: HVR00-N-979
KadastraleKaart.com kan meer dan je denktOntdek meer ›
Filter op bestemming 50+ datasets Eigendomsdata in één klik Percelen CRM
4.730 m2 - 279 m
Eigenaar opvragen
HVR00-N-979 (Hilvarenbeek)
- 5084 HL
MD45KrqZzGSxQ sJr2H2wQmr6Upgrade naar KadastraleKaart Pro
Bekijk op Street View
Download DWG/DXF/Excel
Ib6uSJ5dmrEUpgrade naar KadastraleKaart Pro
Lnx6aQOCqCeMUpgrade naar KadastraleKaart Pro
34qetaHZM mkUpgrade naar KadastraleKaart Pro
pwM4fvtkSpiUpgrade naar KadastraleKaart Pro
JACUoqHRkUpgrade naar KadastraleKaart Pro
T lZM Z 2dCZUpgrade naar KadastraleKaart Pro
zY3ia7uRt2mdXZiIAvUpgrade naar KadastraleKaart Pro
Ymz6uC cUpgrade naar KadastraleKaart Pro
zzjeuSgdUOUpgrade naar KadastraleKaart Pro
qo4jtu6lLnm7sDwefUpgrade naar KadastraleKaart Pro
17/06/2010

Percelen
Gebruik de zoekbalk of klik op een perceel om informatie over het perceel te bekijken.