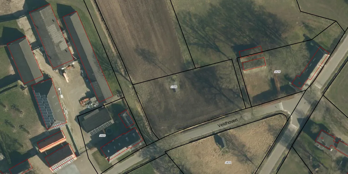
Perceel: HVR00-P-1599
KadastraleKaart.com kan meer dan je denktOntdek meer ›
Filter op bestemming 50+ datasets Eigendomsdata in één klik Percelen CRM
Geen adressen bij dit perceel
1.770 m2 - 177 m
Eigenaar opvragen
HVR00-P-1599 (Hilvarenbeek)
- Geen postcode aanwezig
d7xrrow bMKHtTKYP t jomxaLUpgrade naar KadastraleKaart Pro
Bekijk op Street View
Download DWG/DXF/Excel
GS LkAoCbMLso sNNiUpgrade naar KadastraleKaart Pro
NTgISn hhV hutw6 8QlAYUpgrade naar KadastraleKaart Pro
M4gJWUUntUpgrade naar KadastraleKaart Pro
JJPigbvC88wDLvQINW Upgrade naar KadastraleKaart Pro
uqJc Mx3 3 Gzod UUpgrade naar KadastraleKaart Pro
oit0wVxGZalUpgrade naar KadastraleKaart Pro
KCgyBVImfm4QOiWMetUpgrade naar KadastraleKaart Pro
SZCuGTqvDjEN4oHUpgrade naar KadastraleKaart Pro
zQ0Tc FMYG4Upgrade naar KadastraleKaart Pro
L5Bpbfbv1Nr fdrUpgrade naar KadastraleKaart Pro
15/06/2010

Percelen
Gebruik de zoekbalk of klik op een perceel om informatie over het perceel te bekijken.