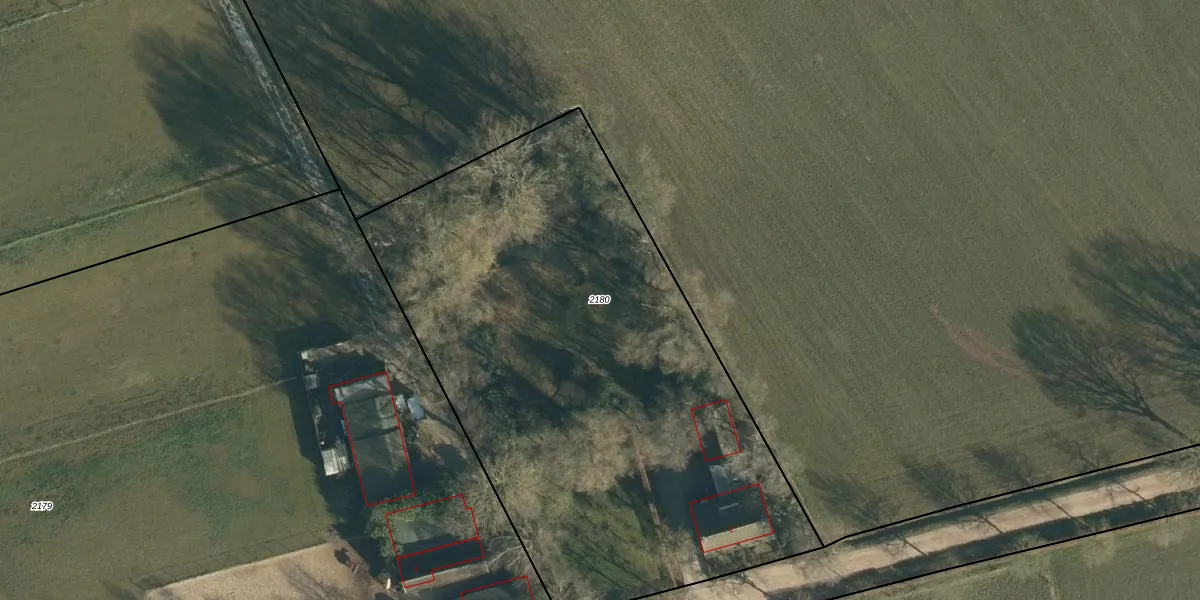
Perceel: HVR00-P-2180
KadastraleKaart.com kan meer dan je denktOntdek meer ›
Filter op bestemming 50+ datasets Eigendomsdata in één klik Percelen CRM
3.415 m2 - 246 m
Eigenaar opvragen
HVR00-P-2180 (Hilvarenbeek)
- 5081 XR
2bIr4CKCqa2CnmQRkafGpM5X1Q2C3hUpgrade naar KadastraleKaart Pro
Bekijk op Street View
Download DWG/DXF/Excel
yqG90VcEsUpgrade naar KadastraleKaart Pro
sDbhm YqUpgrade naar KadastraleKaart Pro
bVePWfUXjlPtyx0BY6fQ9 Upgrade naar KadastraleKaart Pro
OzzIhoHZEdtlbpCZU0NMUpgrade naar KadastraleKaart Pro
3K7BFCz3TRQTUpgrade naar KadastraleKaart Pro
fwEGkQeExYEoUpgrade naar KadastraleKaart Pro
EP044 a3WwPR5bUpgrade naar KadastraleKaart Pro
C5 2ao jNzt9GrCxgUpgrade naar KadastraleKaart Pro
UZlrXLqsSRUpgrade naar KadastraleKaart Pro
Z9 CzT 4PHCQPUpgrade naar KadastraleKaart Pro
14/06/2010

Percelen
Gebruik de zoekbalk of klik op een perceel om informatie over het perceel te bekijken.