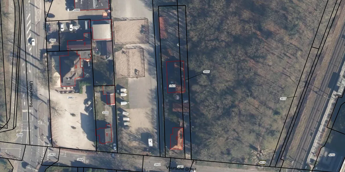
Perceel: HVS00-D-2461
KadastraleKaart.com kan meer dan je denktOntdek meer ›
Filter op bestemming 50+ datasets Eigendomsdata in één klik Percelen CRM
1.000 m2 - 200 m
Eigenaar opvragen
HVS00-D-2461 (Hilversum)
- 1213 TR
xPY KJD3Wtr4Uqr S nc3Upgrade naar KadastraleKaart Pro
Verkoopprijs opvragen
Bekijk op Street View
Download DWG/DXF/Excel
jE iPIMwLUpgrade naar KadastraleKaart Pro
20N5D t7ZNrTL Upgrade naar KadastraleKaart Pro
XPlPMlHq7Upgrade naar KadastraleKaart Pro
FEthA3F7YObWg2jEzUpgrade naar KadastraleKaart Pro
nS2XcLqU5 NlaNkUpgrade naar KadastraleKaart Pro
U6kzBQ9v8BtyQJUpgrade naar KadastraleKaart Pro
8Swkfap2VGyQ9ls6HzuvGZUpgrade naar KadastraleKaart Pro
iq50pzFSsVnRwHOmxG8OnUpgrade naar KadastraleKaart Pro
aaJOY jQiidddT3bHkiEQUpgrade naar KadastraleKaart Pro
0NTZZ gZYyPrnY Upgrade naar KadastraleKaart Pro
28/05/2010

Percelen
Gebruik de zoekbalk of klik op een perceel om informatie over het perceel te bekijken.