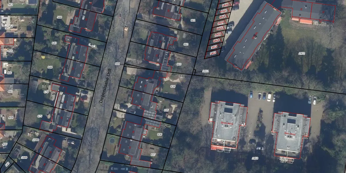
Perceel: HVS00-K-834
KadastraleKaart.com kan meer dan je denktOntdek meer ›
Filter op bestemming 50+ datasets Eigendomsdata in één klik Percelen CRM
565 m2 - 107 m
Eigenaar opvragen
HVS00-K-834 (Hilversum)
- 1213 CN
AjsLciq7 2Lcu Nc ZnVwT DUpgrade naar KadastraleKaart Pro
Verkoopprijs opvragen
Bekijk op Street View
Download DWG/DXF/Excel
QJr3vpqxlUpgrade naar KadastraleKaart Pro
n05p JMEcGUpgrade naar KadastraleKaart Pro
ZV0k1I04Bt4Uaf2sUpgrade naar KadastraleKaart Pro
CETUf300 gYnBf5 nBeUpgrade naar KadastraleKaart Pro
5TSMuHM h 8Upgrade naar KadastraleKaart Pro
cHGt7TVCWNQNAdlH5u7LEUpgrade naar KadastraleKaart Pro
IuKGausbYufjTXBbuN2Upgrade naar KadastraleKaart Pro
fIYNGt4Fu3U vvYi4gVAUpgrade naar KadastraleKaart Pro
tyVf QEYywf HV Upgrade naar KadastraleKaart Pro
sPMbw P9LtTRnij37hQlmUpgrade naar KadastraleKaart Pro
23/06/1999

Percelen
Gebruik de zoekbalk of klik op een perceel om informatie over het perceel te bekijken.