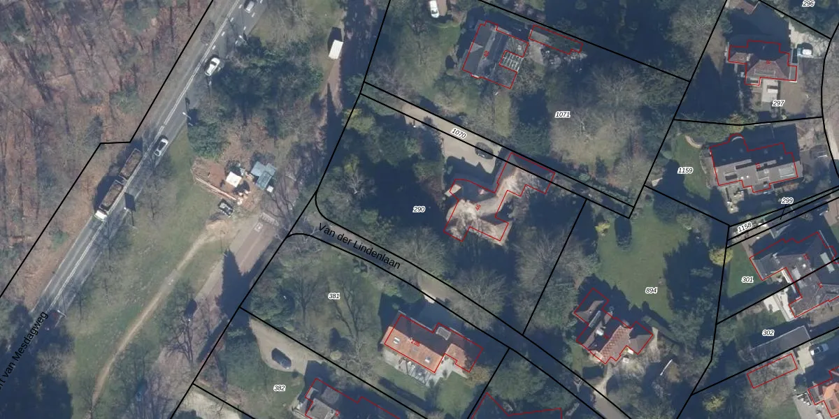
Perceel: HVS00-P-290
1.929 m2 - 183 m
Eigenaar opvragen
HVS00-P-290 (Hilversum)
- 1217 PZ
jndCe2 CH6 x7YhRalWzUpgrade naar KadastraleKaart Pro
Verkoopprijs opvragen
Bekijk op Street View
Download DWG/DXF/Excel
EymBQtaLUpgrade naar KadastraleKaart Pro
gMjosymQPfGIQHjt7CdFdb9Upgrade naar KadastraleKaart Pro
W TJIpZ4PlGVgRwIyi1gUpgrade naar KadastraleKaart Pro
XaNTzRRBOxQLvyOk5 fsUpgrade naar KadastraleKaart Pro
NtUrP 0oPbx vuUpgrade naar KadastraleKaart Pro
w8lqqw087kRk BDdKxUpgrade naar KadastraleKaart Pro
h hk2fPGfC3QofbO6IE1Upgrade naar KadastraleKaart Pro
BsR B b3mHtfrriOYWrgnDUpgrade naar KadastraleKaart Pro
jg jIMjPD jW7tUpgrade naar KadastraleKaart Pro
5WiJA6WrLF juOsVUpgrade naar KadastraleKaart Pro
03/05/1999

Percelen
Gebruik de zoekbalk of klik op een perceel om informatie over het perceel te bekijken.