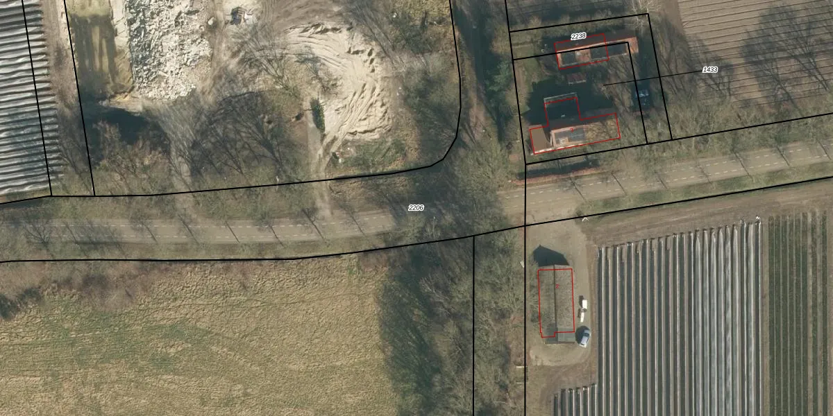
Perceel: HVT02-A-2206
KadastraleKaart.com kan meer dan je denktOntdek meer ›
Filter op bestemming 50+ datasets Eigendomsdata in één klik Percelen CRM
Geen adressen bij dit perceel
6.612 m2 - 980 m
Eigenaar opvragen
HVT02-A-2206 (Helvoirt)
- Geen postcode aanwezig
xuBxR2h iZFpUaS5tSaC2RL NDUpgrade naar KadastraleKaart Pro
Bekijk op Street View
Download DWG/DXF/Excel
qK7p5jkYJT pntCoufDWwRUpgrade naar KadastraleKaart Pro
N8bMFjWggKUpgrade naar KadastraleKaart Pro
J bnlXp tPRQIV9oI7v2vMUpgrade naar KadastraleKaart Pro
qU4pR1g9Hiyao9CBk JWi0Upgrade naar KadastraleKaart Pro
AU4G d9Kijm4jRUpgrade naar KadastraleKaart Pro
H4Vr zWWUpgrade naar KadastraleKaart Pro
KBv7g rDmPe2FhWUAAd sUpgrade naar KadastraleKaart Pro
jhme0Apv6H6WhMQTFMMoUpgrade naar KadastraleKaart Pro
f3KFdO7AUPCijUpgrade naar KadastraleKaart Pro
hPD3XXehEcoNcyiv0Zey6 3Upgrade naar KadastraleKaart Pro
06/12/2024

Percelen
Gebruik de zoekbalk of klik op een perceel om informatie over het perceel te bekijken.