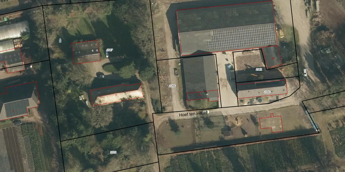
Perceel: HVT02-A-2266
KadastraleKaart.com kan meer dan je denktOntdek meer ›
Filter op bestemming 50+ datasets Eigendomsdata in één klik Percelen CRM
1.040 m2 - 131 m
Eigenaar opvragen
HVT02-A-2266 (Helvoirt)
- 5268 LT
etW ZRZcj42WUKav5Nq2qUpgrade naar KadastraleKaart Pro
Verkoopprijs opvragen
Bekijk op Street View
Download DWG/DXF/Excel
dKdXeFF2uWqo0dUpgrade naar KadastraleKaart Pro
MZMGuksGIDesCTWQ Upgrade naar KadastraleKaart Pro
YcFwLZE dFS8qM khIm YkzUpgrade naar KadastraleKaart Pro
RENTKH2nkuMrkSSUpgrade naar KadastraleKaart Pro
wFvKZ i6SYUYXyhvh cm4 Upgrade naar KadastraleKaart Pro
Dz040qbn vvDYHmrUpgrade naar KadastraleKaart Pro
7P x J p5Upgrade naar KadastraleKaart Pro
Gl6wa2Ji78I63kUpgrade naar KadastraleKaart Pro
ySe CwmTGUpgrade naar KadastraleKaart Pro
PXVjztMCkoiK1UYUfeUpgrade naar KadastraleKaart Pro
04/12/2008

Percelen
Gebruik de zoekbalk of klik op een perceel om informatie over het perceel te bekijken.