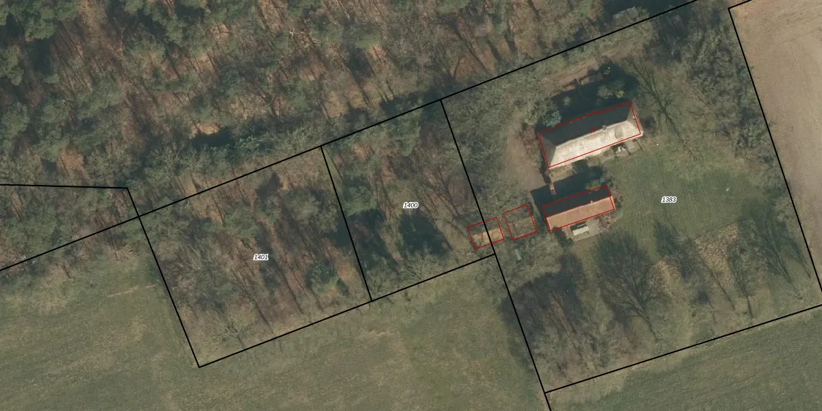
Perceel: HVT02-B-1400
KadastraleKaart.com kan meer dan je denktOntdek meer ›
Filter op bestemming 50+ datasets Eigendomsdata in één klik Percelen CRM
Geen adressen bij dit perceel
1.280 m2 - 143 m
Eigenaar opvragen
HVT02-B-1400 (Helvoirt)
- Geen postcode aanwezig
yyp86KtYd69Y W acBkyUpgrade naar KadastraleKaart Pro
Bekijk op Street View
Download DWG/DXF/Excel
QNe15HWBpvuYN6eUpgrade naar KadastraleKaart Pro
4NGU4a cAKi6m t oUpgrade naar KadastraleKaart Pro
NtO1kf dbKPJr9Upgrade naar KadastraleKaart Pro
hKQAZWkIDsn1I2Upgrade naar KadastraleKaart Pro
Yr25uHsycTzGqef5Upgrade naar KadastraleKaart Pro
gO6Szq bYcsvTUpgrade naar KadastraleKaart Pro
bjgAWCdcc 1xUpgrade naar KadastraleKaart Pro
YRf cNa hZ4IwuQojxV2MCUpgrade naar KadastraleKaart Pro
SVmyYYZSw4DYuGbV0bT9QUpgrade naar KadastraleKaart Pro
R N8COQb400Qta57qufI95OUpgrade naar KadastraleKaart Pro
25/02/2008

Percelen
Gebruik de zoekbalk of klik op een perceel om informatie over het perceel te bekijken.