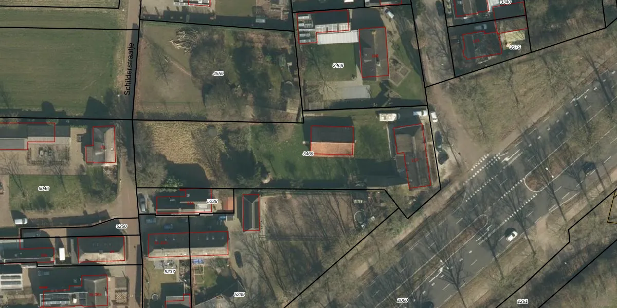
Perceel: HVT02-D-3469
KadastraleKaart.com kan meer dan je denktOntdek meer ›
Filter op bestemming 50+ datasets Eigendomsdata in één klik Percelen CRM
2.415 m2 - 257 m
Eigenaar opvragen
HVT02-D-3469 (Helvoirt)
- 5268 EE
wgPwYc WxmOz 3Pf 2 OdUkvSsJUpgrade naar KadastraleKaart Pro
Verkoopprijs opvragen
Bekijk op Street View
Download DWG/DXF/Excel
pkA OTlezdb adCRZZUpgrade naar KadastraleKaart Pro
gRkVoaZ 9Upgrade naar KadastraleKaart Pro
RKXZ9H1K6Upgrade naar KadastraleKaart Pro
yZFkz mCUpgrade naar KadastraleKaart Pro
n i IfwuMUpgrade naar KadastraleKaart Pro
xo5rWb PrCSX zB6JqUpgrade naar KadastraleKaart Pro
e0fOlzTMUpgrade naar KadastraleKaart Pro
nsb3BWLIeXGYME84I0IsUpgrade naar KadastraleKaart Pro
qH Pyu1DUpgrade naar KadastraleKaart Pro
PD SBXl8BNMXwff hI 0ZUpgrade naar KadastraleKaart Pro
27/08/2024

Percelen
Gebruik de zoekbalk of klik op een perceel om informatie over het perceel te bekijken.