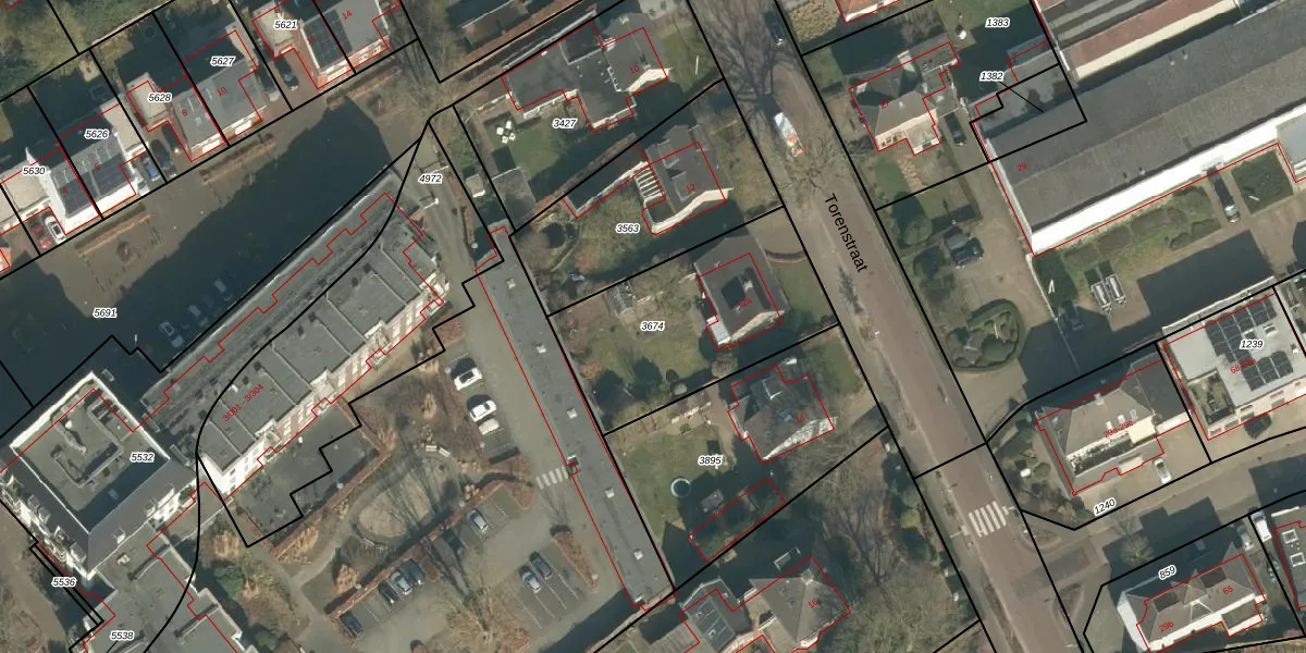
Perceel: HVT02-D-3674
KadastraleKaart.com kan meer dan je denktOntdek meer ›
Filter op bestemming 50+ datasets Eigendomsdata in één klik Percelen CRM
801 m2 - 120 m
Eigenaar opvragen
HVT02-D-3674 (Helvoirt)
- 5268 AT
NrnTLUrJ4 pyOgUpgrade naar KadastraleKaart Pro
Bekijk op Street View
Download DWG/DXF/Excel
iQDnEhmZoV in FpUpgrade naar KadastraleKaart Pro
kHYDQUwHJGZ95s 6 ZUpgrade naar KadastraleKaart Pro
U f F97 h3RgKrXlGDfaEUpgrade naar KadastraleKaart Pro
gBP5DQYGgm6 4n8DDkXD4JUpgrade naar KadastraleKaart Pro
lhc8ndTnDjbUpgrade naar KadastraleKaart Pro
dYYT8VmgyDvLMreUpgrade naar KadastraleKaart Pro
7exX o mKTjk0eDd fOnUpgrade naar KadastraleKaart Pro
QAI3QiiQaT Zyj1U aMlK1Upgrade naar KadastraleKaart Pro
MJJno3W y XEUpgrade naar KadastraleKaart Pro
yni3VVG lJqBUpgrade naar KadastraleKaart Pro
26/02/2008

Percelen
Gebruik de zoekbalk of klik op een perceel om informatie over het perceel te bekijken.