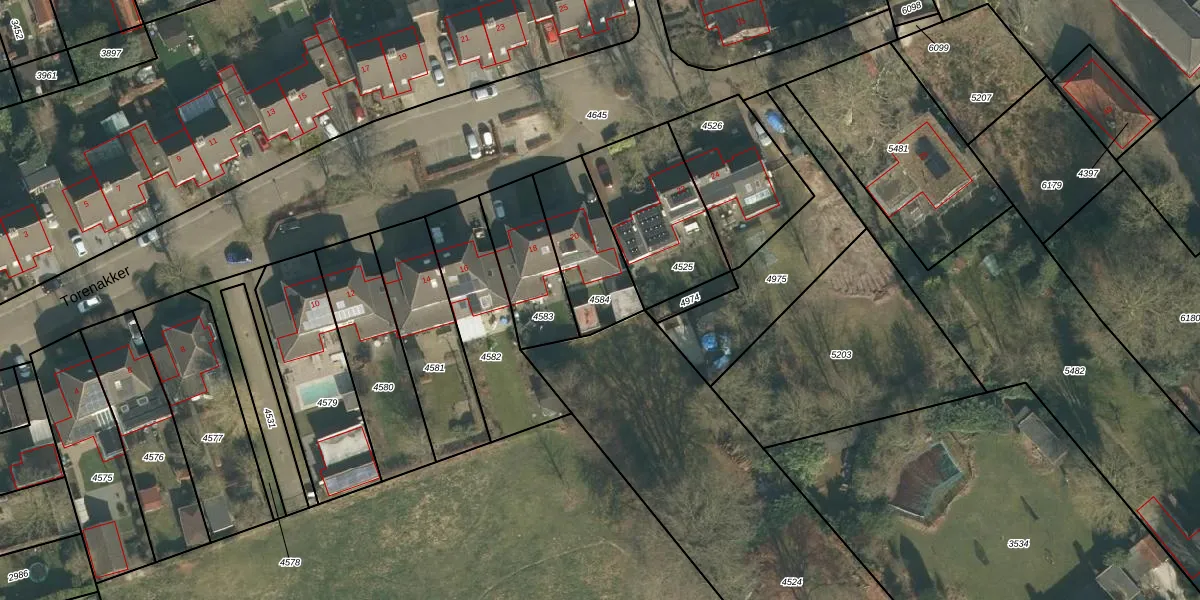
Perceel: HVT02-D-4584
KadastraleKaart.com kan meer dan je denktOntdek meer ›
Filter op bestemming 50+ datasets Eigendomsdata in één klik Percelen CRM
290 m2 - 76 m
Eigenaar opvragen
HVT02-D-4584 (Helvoirt)
- 5268 BX
fdf 3 WEqHu Gnc 7ie6J0j05RYruUpgrade naar KadastraleKaart Pro
Bekijk op Street View
Download DWG/DXF/Excel
xx7vGzeqa OmbuUpgrade naar KadastraleKaart Pro
s BA7K UtUpgrade naar KadastraleKaart Pro
PI4l UUlkUpgrade naar KadastraleKaart Pro
z4MQnM8BJ gUpgrade naar KadastraleKaart Pro
Lte3rLiX Ia 9dahd 5Upgrade naar KadastraleKaart Pro
ZQ dtOLjWUpgrade naar KadastraleKaart Pro
If c uMmUwVLiztusUpgrade naar KadastraleKaart Pro
kY8Djo6LgL Kab5zZQbrDyUpgrade naar KadastraleKaart Pro
yJR4EeD Xs fEUpgrade naar KadastraleKaart Pro
IZlf 1Q TVo4MUpgrade naar KadastraleKaart Pro
26/02/2008

Percelen
Gebruik de zoekbalk of klik op een perceel om informatie over het perceel te bekijken.