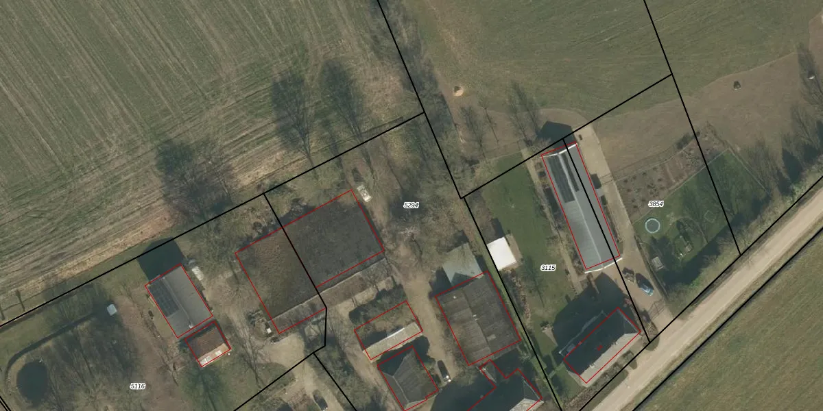
Perceel: HVT02-D-5294
KadastraleKaart.com kan meer dan je denktOntdek meer ›
Filter op bestemming 50+ datasets Eigendomsdata in één klik Percelen CRM
3.883 m2 - 266 m
Eigenaar opvragen
HVT02-D-5294 (Helvoirt)
- 5268 CN
Gx5ZtnJ XbaG2BJfUpgrade naar KadastraleKaart Pro
Bekijk op Street View
Download DWG/DXF/Excel
edLHuiWo5C b dd tO p8IUpgrade naar KadastraleKaart Pro
S5pHYk5jvSUpgrade naar KadastraleKaart Pro
SrYAP6Z1MRyWPu4ZCUpgrade naar KadastraleKaart Pro
4sc3OvAiKX6kFM h EVz9fUpgrade naar KadastraleKaart Pro
jx9Q9 CWT7EanRUpgrade naar KadastraleKaart Pro
sLQEo9M3JnMkS Upgrade naar KadastraleKaart Pro
I7H3NiEQ L 5vhBhUpgrade naar KadastraleKaart Pro
aTOcJ7AHsOGwsCD EwygONUpgrade naar KadastraleKaart Pro
oYSK0 zDYIojy kCmoUpgrade naar KadastraleKaart Pro
dxVK 92lUpgrade naar KadastraleKaart Pro
14/03/2013

Percelen
Gebruik de zoekbalk of klik op een perceel om informatie over het perceel te bekijken.