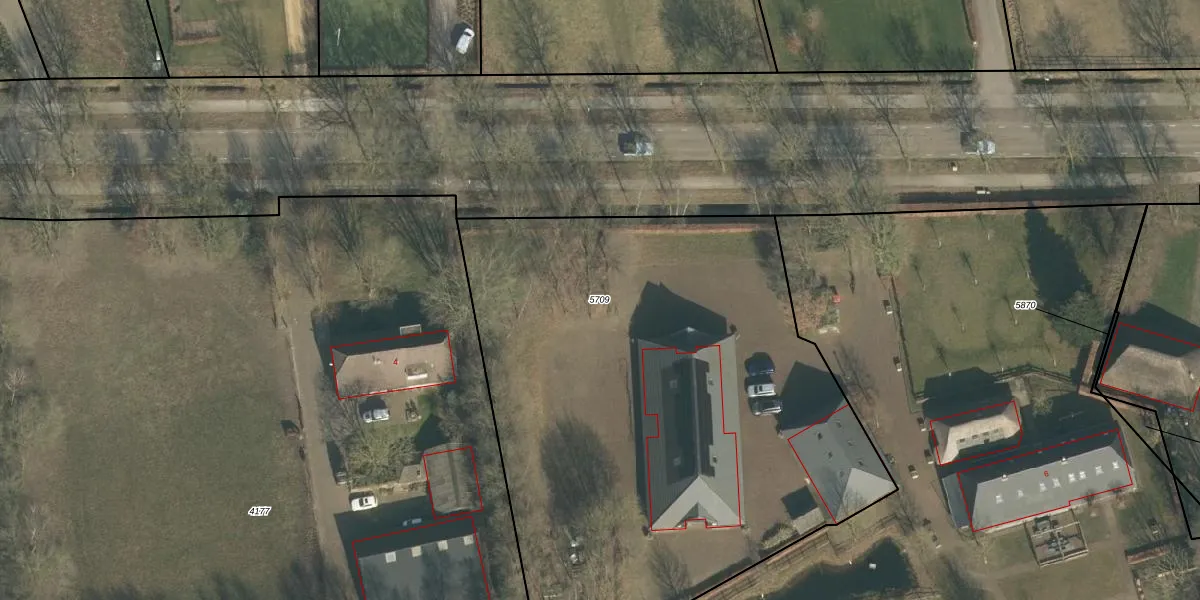
Perceel: HVT02-D-5709
KadastraleKaart.com kan meer dan je denktOntdek meer ›
Filter op bestemming 50+ datasets Eigendomsdata in één klik Percelen CRM
Geen adressen bij dit perceel
3.730 m2 - 247 m
Eigenaar opvragen
HVT02-D-5709 (Helvoirt)
- Geen postcode aanwezig
Ve3gNTqyacr0DUtm2YHdu5fUpgrade naar KadastraleKaart Pro
Bekijk op Street View
Download DWG/DXF/Excel
czkt5k aF9Ea9hUpgrade naar KadastraleKaart Pro
v0E2gpGjIw lUUpgrade naar KadastraleKaart Pro
fY Wa 8pEe1GiOUpgrade naar KadastraleKaart Pro
TzehWLkRtmVw6ZWE Upgrade naar KadastraleKaart Pro
OKxAn r3XnUpgrade naar KadastraleKaart Pro
queZK yhrbSMjQIUpgrade naar KadastraleKaart Pro
Iw9aYM8 Z3yPERrxiOJmUpgrade naar KadastraleKaart Pro
EaTTy 53zk XJdUpgrade naar KadastraleKaart Pro
G8Lmy4Gb OUpgrade naar KadastraleKaart Pro
czmu85RpR07Upgrade naar KadastraleKaart Pro
22/05/2017

Percelen
Gebruik de zoekbalk of klik op een perceel om informatie over het perceel te bekijken.