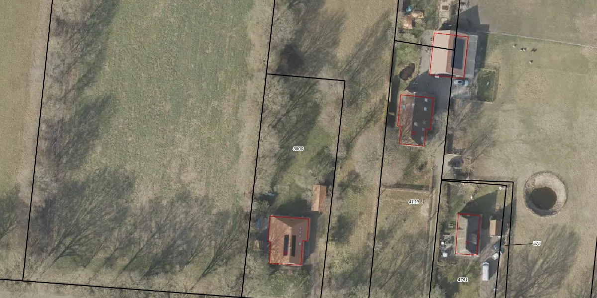
Perceel: HVT03-H-3800
1.988 m2 - 204 m
Eigenaar opvragen
HVT03-H-3800 (Havelte)
- 7973 KN
U9 vhDQJWLsJ7tHr kUpgrade naar KadastraleKaart Pro
Bekijk op Street View
Download DWG/DXF/Excel
8xq6BK7lhYFhb5ceNCUpgrade naar KadastraleKaart Pro
QgZNa5mg T6LSzQwYQTrUpgrade naar KadastraleKaart Pro
hi4fO e28 Upgrade naar KadastraleKaart Pro
sfHNY6FKj1 BXXy bwAUpgrade naar KadastraleKaart Pro
vwOy6ZcyBZyv5 RoQRJqEUpgrade naar KadastraleKaart Pro
PlJ370g31eqNldneEdmgM DUpgrade naar KadastraleKaart Pro
LxGjuP Zv 85Upgrade naar KadastraleKaart Pro
6j4cEnFdZ81WRTvD9 U 7IiUpgrade naar KadastraleKaart Pro
wG9YUcd6fxUpgrade naar KadastraleKaart Pro
sW cKE7 o7VQUpgrade naar KadastraleKaart Pro
15/07/2003

Percelen
Gebruik de zoekbalk of klik op een perceel om informatie over het perceel te bekijken.