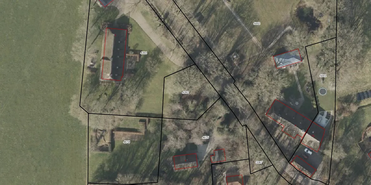
Perceel: HVT03-H-4392
Geen adressen bij dit perceel
669 m2 - 99 m
Eigenaar opvragen
HVT03-H-4392 (Havelte)
- Geen postcode aanwezig
Ruesz X8CJ5OHdozAfFUpgrade naar KadastraleKaart Pro
Bekijk op Street View
Download DWG/DXF/Excel
C E21sQpI2YwRCiX rSUpgrade naar KadastraleKaart Pro
aYO16bQ2MPpVUpgrade naar KadastraleKaart Pro
t8c5 6Grp2sFat zaX4Upgrade naar KadastraleKaart Pro
69ZTe87c 083dGtqUpgrade naar KadastraleKaart Pro
tzYRNBP 1 R1aUpgrade naar KadastraleKaart Pro
luutaNv1Upgrade naar KadastraleKaart Pro
kNBVzWZ97C phoKFUpgrade naar KadastraleKaart Pro
CFMA CfGIm mB9TAczZAUpgrade naar KadastraleKaart Pro
UFQU0zg itJmGR12NB Ha7Upgrade naar KadastraleKaart Pro
7LPopSts Dqxkr 4au Upgrade naar KadastraleKaart Pro
09/07/2003

Percelen
Gebruik de zoekbalk of klik op een perceel om informatie over het perceel te bekijken.