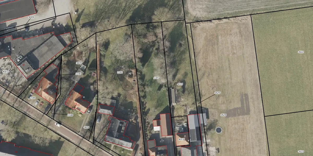
Perceel: HVT03-I-1347
1.996 m2 - 253 m
Eigenaar opvragen
HVT03-I-1347 (Havelte)
- 7971 CN
B3Ap 9gfxX8DookMbUpgrade naar KadastraleKaart Pro
Bekijk op Street View
Download DWG/DXF/Excel
JWYoOd4zTsP MzmPym5CTXUpgrade naar KadastraleKaart Pro
DpgAn bmgkHCCfUpgrade naar KadastraleKaart Pro
uT9mKSFEo r7Oasg0znoXMUUpgrade naar KadastraleKaart Pro
PwavHPMqn91mw rWNOFUpgrade naar KadastraleKaart Pro
43K0sR4Pr0793 gU 2Upgrade naar KadastraleKaart Pro
bBjA3T8L5WUpgrade naar KadastraleKaart Pro
n8KSFEGQpbBeCUpgrade naar KadastraleKaart Pro
kBN6UZ XUpgrade naar KadastraleKaart Pro
aimpyuTqmhD2liG q4 OUpgrade naar KadastraleKaart Pro
cTOhqN72qZyuYH3JUpgrade naar KadastraleKaart Pro
29/10/2009

Percelen
Gebruik de zoekbalk of klik op een perceel om informatie over het perceel te bekijken.