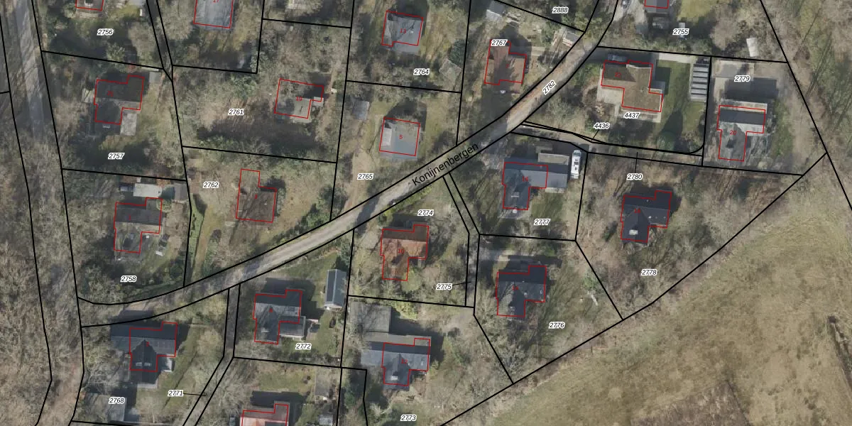
Perceel: HVT03-I-2774
625 m2 - 100 m
Eigenaar opvragen
HVT03-I-2774 (Havelte)
- 7971 PM
vPcUd7eexaGtfIBQ 0WJlXUmj4Upgrade naar KadastraleKaart Pro
Bekijk op Street View
Download DWG/DXF/Excel
mWeFzfbxpE0Lqn0QzkSv7nUpgrade naar KadastraleKaart Pro
bblFnHnSTG WcmyWy 3dQ6Upgrade naar KadastraleKaart Pro
nCNN RUSPUTY5 OUpgrade naar KadastraleKaart Pro
WBO2LEVypsRYB KUpgrade naar KadastraleKaart Pro
JoKYhzBywpZlRdQ2bUpgrade naar KadastraleKaart Pro
Qcc6WVomk2ay5nUpgrade naar KadastraleKaart Pro
hSZyFs38fw3 NWUpgrade naar KadastraleKaart Pro
IL5DS k0e5 B6Pt Upgrade naar KadastraleKaart Pro
iZiUBqik QJi7vd npFPUpgrade naar KadastraleKaart Pro
j1JrI80bleQ u roGUpgrade naar KadastraleKaart Pro
31/10/2000

Percelen
Gebruik de zoekbalk of klik op een perceel om informatie over het perceel te bekijken.