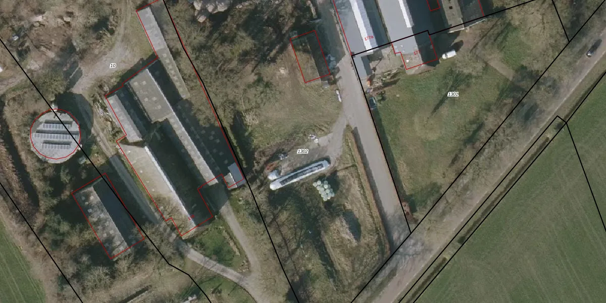
Perceel: HVT03-N-1302
9.615 m2 - 495 m
Eigenaar opvragen
HVT03-N-1302 (Havelte)
- 8351 HN
nrGEx9ue B2 AtHkx9jQ 1CrFGsoUpgrade naar KadastraleKaart Pro
Bekijk op Street View
Download DWG/DXF/Excel
o bGtyojUpgrade naar KadastraleKaart Pro
Sn54mfVEdTY 5Vp6 KC5Upgrade naar KadastraleKaart Pro
BdnrtDk92L 2Upgrade naar KadastraleKaart Pro
6GzPuIFbaPIJybnRbNVUpgrade naar KadastraleKaart Pro
QuNQNmxdfGTOsbnUpgrade naar KadastraleKaart Pro
8pEB c H8oBbIQUpgrade naar KadastraleKaart Pro
U wpTKT02v6FPJfjeYnxalUpgrade naar KadastraleKaart Pro
BYMu6sp4K6Hr1Upgrade naar KadastraleKaart Pro
tosTTvHtVvUpgrade naar KadastraleKaart Pro
NbBD633ncvYwv5DlhvUpgrade naar KadastraleKaart Pro
14/10/2011

Percelen
Gebruik de zoekbalk of klik op een perceel om informatie over het perceel te bekijken.