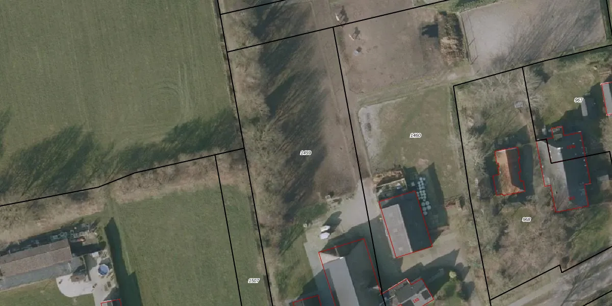
Perceel: HVT03-N-1459
4.190 m2 - 307 m
Eigenaar opvragen
HVT03-N-1459 (Havelte)
- 8351 HN
fc tZf0WTxO trSbv4i50dUOzUpgrade naar KadastraleKaart Pro
Bekijk op Street View
Download DWG/DXF/Excel
5R7XM8E 60liUpgrade naar KadastraleKaart Pro
ziSzH Db5TOxUS7O 4DQUpgrade naar KadastraleKaart Pro
SHeeDml5p Upgrade naar KadastraleKaart Pro
tRohsP56kLfRA1DxUpgrade naar KadastraleKaart Pro
ZPpnL3Z 3bJJaU ae8xJUpgrade naar KadastraleKaart Pro
7ckJF zWRUpgrade naar KadastraleKaart Pro
CGySVGZ1Upgrade naar KadastraleKaart Pro
MfudKQQI5USRfhz OSUpgrade naar KadastraleKaart Pro
A5O6bJY sLBvFGQPLeUpgrade naar KadastraleKaart Pro
qaPf Ll0Yr6l pbWl6YE1tUpgrade naar KadastraleKaart Pro
30/03/2023

Percelen
Gebruik de zoekbalk of klik op een perceel om informatie over het perceel te bekijken.