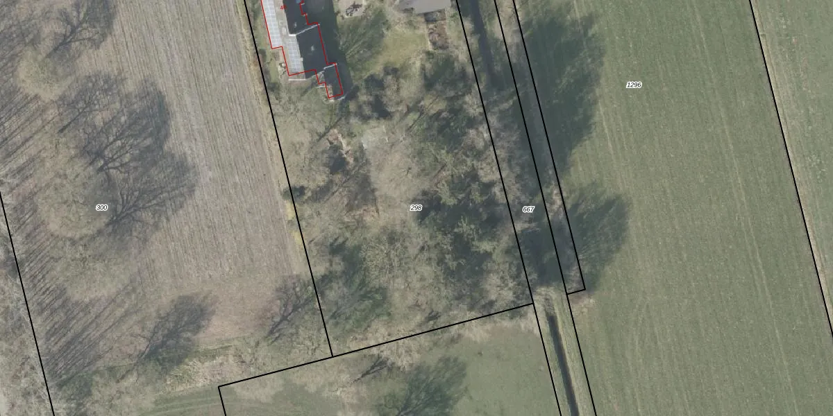
Perceel: HVT03-N-298
6.010 m2 - 344 m
Eigenaar opvragen
HVT03-N-298 (Havelte)
- 8351 HH
LAhtF lc3mUkBy0AY6OGPOfSZUpgrade naar KadastraleKaart Pro
Bekijk op Street View
Download DWG/DXF/Excel
XMH2JHiqHL9bpck13Upgrade naar KadastraleKaart Pro
mNtL51 QKBIt DYRmCwUpgrade naar KadastraleKaart Pro
2MRHOMutOyQaaUpgrade naar KadastraleKaart Pro
OtL8qdUlBQ VhUpgrade naar KadastraleKaart Pro
E3FIwlJrQUpgrade naar KadastraleKaart Pro
RXP UN4JDj7x7qfUpgrade naar KadastraleKaart Pro
UEeqalq8 3Pb EaYrUpgrade naar KadastraleKaart Pro
Aw0DqthY TdAUpgrade naar KadastraleKaart Pro
Y6w30 dDeVBxrVrIt7eTUpgrade naar KadastraleKaart Pro
UDPKb9SV IwgVUpgrade naar KadastraleKaart Pro
14/02/2011

Percelen
Gebruik de zoekbalk of klik op een perceel om informatie over het perceel te bekijken.